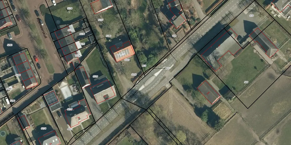
Perceel: ESL00-O-813
KadastraleKaart.com kan meer dan je denktOntdek meer ›
Filter op bestemming 50+ datasets Eigendomsdata in één klik Percelen CRM
Geen adressen bij dit perceel
4 m2 - 15 m
Eigenaar opvragen
ESL00-O-813 (Eersel)
- Geen postcode aanwezig
z lT1wbghm5QywKgrtRUpgrade naar KadastraleKaart Pro
Bekijk op Street View
Download DWG/DXF/Excel
0QXx dTbAQo5S3hVoyv amYUpgrade naar KadastraleKaart Pro
dyblyXJP D dTr 9bCVWOzUpgrade naar KadastraleKaart Pro
6V H9URB4cg2o 90r8TMUpgrade naar KadastraleKaart Pro
rB 2YfJKGcEgnf Upgrade naar KadastraleKaart Pro
4eoCr8s qUpgrade naar KadastraleKaart Pro
Y1ToZbmcSVRM27cD bXaH7Upgrade naar KadastraleKaart Pro
5dVM23 Kj0D6Upgrade naar KadastraleKaart Pro
ck0e6Mzl2Jn5LcUpgrade naar KadastraleKaart Pro
XlNzI 5WkyJUpgrade naar KadastraleKaart Pro
gsm2RsaUscX7XEHXSYUpgrade naar KadastraleKaart Pro
14/01/2020

Percelen
Gebruik de zoekbalk of klik op een perceel om informatie over het perceel te bekijken.