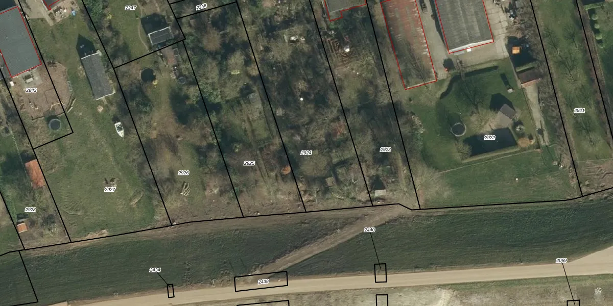
Perceel: EST00-C-2924
KadastraleKaart.com kan meer dan je denktOntdek meer ›
Filter op bestemming 50+ datasets Eigendomsdata in één klik Percelen CRM
Geen adressen bij dit perceel
1.962 m2 - 210 m
Eigenaar opvragen
EST00-C-2924 (Est en Opijnen)
- Geen postcode aanwezig
h9 DLT1 ttofDMy6jUpgrade naar KadastraleKaart Pro
Bekijk op Street View
Download DWG/DXF/Excel
hys yyXlO6xu 2bUpgrade naar KadastraleKaart Pro
bD VMM8v QWjGAUsEQ2Upgrade naar KadastraleKaart Pro
Zxi1PjY1scDpJ8kEbR5TKJUpgrade naar KadastraleKaart Pro
gFmv5fjAjobhoWisYK 7lDUpgrade naar KadastraleKaart Pro
SKVg6tOXBcNIbO1ZhUpgrade naar KadastraleKaart Pro
6LInPR8hEfUpgrade naar KadastraleKaart Pro
qSkoT WrUpgrade naar KadastraleKaart Pro
acEFTuIT4qkkEJqM YQc wTUpgrade naar KadastraleKaart Pro
4vLh0rpLOv20UJs4Og5wDLUpgrade naar KadastraleKaart Pro
APseqz eVctUpgrade naar KadastraleKaart Pro
20/12/2022

Percelen
Gebruik de zoekbalk of klik op een perceel om informatie over het perceel te bekijken.