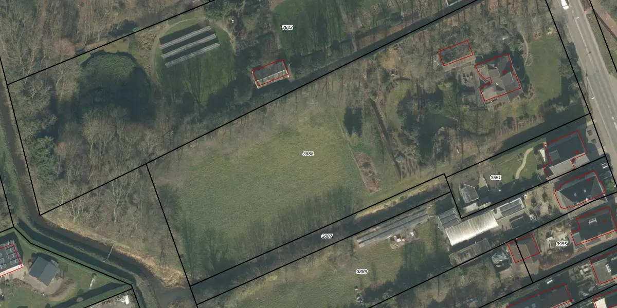
Perceel: ETN01-H-3888
KadastraleKaart.com kan meer dan je denktOntdek meer ›
Filter op bestemming 50+ datasets Eigendomsdata in één klik Percelen CRM
6.435 m2 - 375 m
Eigenaar opvragen
ETN01-H-3888 (Etten-Leur)
- 4876 NB
z2Z3XX3V5CTR5wSRey8VAKEUpBLyVYhUpgrade naar KadastraleKaart Pro
Bekijk op Street View
Download DWG/DXF/Excel
jd0w031obUpgrade naar KadastraleKaart Pro
Y BsloHetPn7OdAt 0LUpgrade naar KadastraleKaart Pro
dyqI6IiPxpGcYY zUpgrade naar KadastraleKaart Pro
xdS krwC4TOFTUpgrade naar KadastraleKaart Pro
vQ3uf2G VQGDnjdNpNwsUpgrade naar KadastraleKaart Pro
i kTAcw OV pC4h nwVUpgrade naar KadastraleKaart Pro
ne2ddVHehOUpgrade naar KadastraleKaart Pro
5l JiMvdGqwHrKe 4pxGfE0Upgrade naar KadastraleKaart Pro
wH8V3sStDUpgrade naar KadastraleKaart Pro
m35MZ7y7pTY3pKMvK9FuNUpgrade naar KadastraleKaart Pro
21/01/2009

Percelen
Gebruik de zoekbalk of klik op een perceel om informatie over het perceel te bekijken.