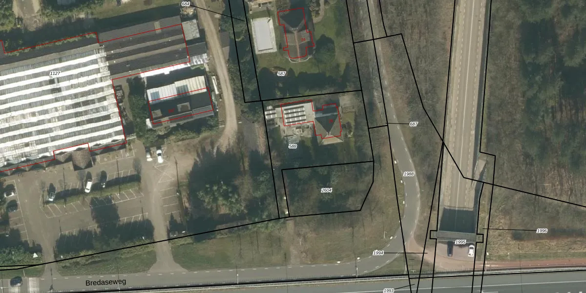
Perceel: ETN01-M-588
KadastraleKaart.com kan meer dan je denktOntdek meer ›
Filter op bestemming 50+ datasets Eigendomsdata in één klik Percelen CRM
860 m2 - 151 m
Eigenaar opvragen
ETN01-M-588 (Etten-Leur)
- 4872 LJ
QaG8rftCDDFTZCz2nFbfNJUpgrade naar KadastraleKaart Pro
Verkoopprijs opvragen
Bekijk op Street View
Download DWG/DXF/Excel
az CEzFOUpgrade naar KadastraleKaart Pro
gT cXiUP csDqUpgrade naar KadastraleKaart Pro
5CoBCsDMFahW3 0UxR4yUpgrade naar KadastraleKaart Pro
Ztn9pykk9uktTqUpgrade naar KadastraleKaart Pro
Mc hwJhVmZTrQ1rR oyZTFUpgrade naar KadastraleKaart Pro
hPW85C7GRrfQBvDJAHC4ZdUpgrade naar KadastraleKaart Pro
P8DpuXUD 6OD z0Upgrade naar KadastraleKaart Pro
xRhx AUVjtvTPmxUpgrade naar KadastraleKaart Pro
QmaVhtr7MYAQAUpgrade naar KadastraleKaart Pro
cHyMJg nhhWjxodhXijywvUpgrade naar KadastraleKaart Pro
21/01/2016

Percelen
Gebruik de zoekbalk of klik op een perceel om informatie over het perceel te bekijken.