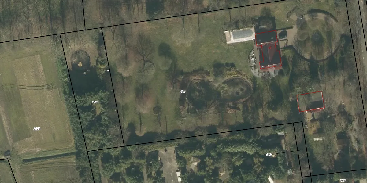
Perceel: ETN01-M-997
KadastraleKaart.com kan meer dan je denktOntdek meer ›
Filter op bestemming 50+ datasets Eigendomsdata in één klik Percelen CRM
9.825 m2 - 460 m
Eigenaar opvragen
ETN01-M-997 (Etten-Leur)
- 4872 LJ
3ZNrYyH6071qgTxvMxQ W0UqYUpgrade naar KadastraleKaart Pro
Verkoopprijs opvragen
Bekijk op Street View
Download DWG/DXF/Excel
iC0NA1h3mIzg 9QIXsJbocUpgrade naar KadastraleKaart Pro
w zQiI8OigPVn Upgrade naar KadastraleKaart Pro
1DPx2m tRFt f5Y ZjJvLpUpgrade naar KadastraleKaart Pro
42Biyohn4KyIGGL4Iix2iUpgrade naar KadastraleKaart Pro
Z5 H52lZi nUIfJ6NUpgrade naar KadastraleKaart Pro
SxecTX YdPRABd2zUpgrade naar KadastraleKaart Pro
X0skWe tg fkjcUpgrade naar KadastraleKaart Pro
B S2z8SeYD2glUpgrade naar KadastraleKaart Pro
QIZRG6 OVCMXNaUpgrade naar KadastraleKaart Pro
3NjZaRaZsy91 QtrcexHV7EUpgrade naar KadastraleKaart Pro
23/01/2009

Percelen
Gebruik de zoekbalk of klik op een perceel om informatie over het perceel te bekijken.