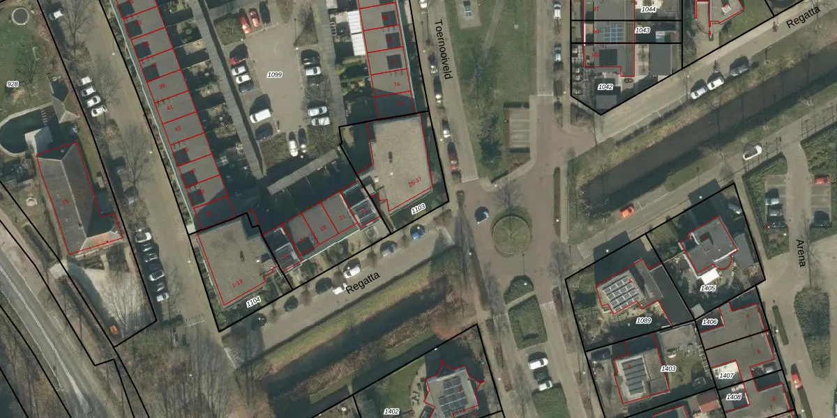
Perceel: ETN01-P-1103
488 m2 - 90 m
Eigenaar opvragen
ETN01-P-1103 (Etten-Leur)
- 4873 DC
c3nrBlnPBJ19f cQ5LDx xxUpgrade naar KadastraleKaart Pro
Verkoopprijs opvragen
Bekijk op Street View
Download DWG/DXF/Excel
fIb 7iLguQYUpgrade naar KadastraleKaart Pro
J9BUkg5ux64i4khUpgrade naar KadastraleKaart Pro
CXUYD0E7bwMuQw96Upgrade naar KadastraleKaart Pro
JHz QyXNYY0j9X uHJ ETIUpgrade naar KadastraleKaart Pro
6UZQBpSY1Rf0aR1xn3L5GUpgrade naar KadastraleKaart Pro
C evLC0gxk4621aUrtQTUpgrade naar KadastraleKaart Pro
Cnr11W1 ZGepUpgrade naar KadastraleKaart Pro
dzeifKyWtI9iLLUpgrade naar KadastraleKaart Pro
gxYG mdBJILbx3i8H 1hSUpgrade naar KadastraleKaart Pro
su6jb twYR4 2icjeesXYbUpgrade naar KadastraleKaart Pro
20/01/2009

Percelen
Gebruik de zoekbalk of klik op een perceel om informatie over het perceel te bekijken.