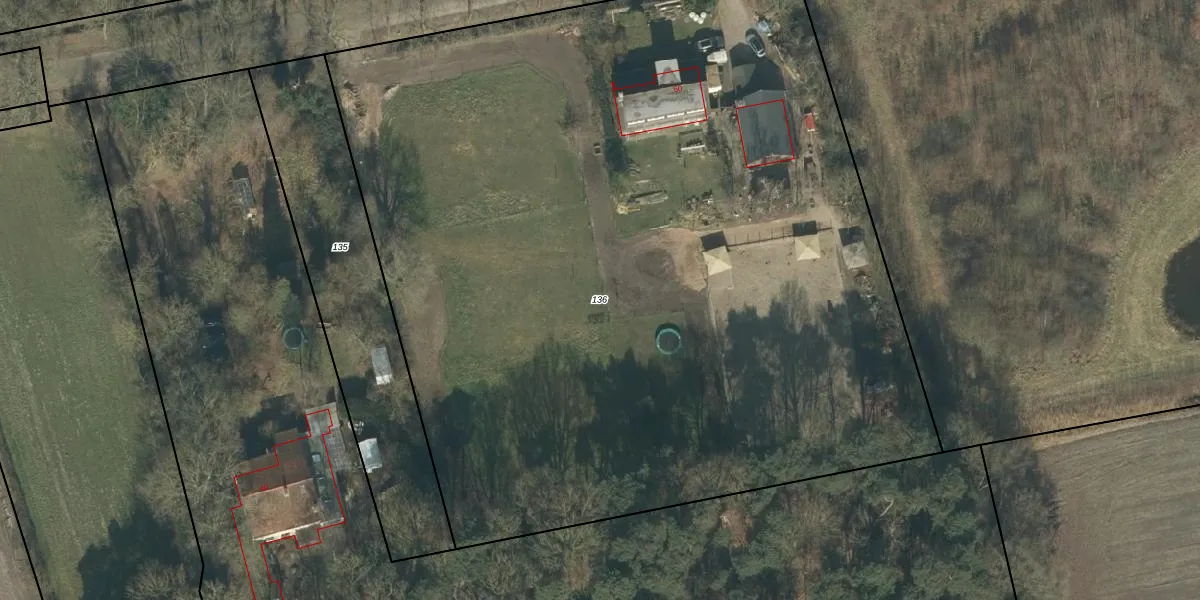
Perceel: ETN01-Q-136
KadastraleKaart.com kan meer dan je denktOntdek meer ›
Filter op bestemming 50+ datasets Eigendomsdata in één klik Percelen CRM
6.885 m2 - 333 m
Eigenaar opvragen
ETN01-Q-136 (Etten-Leur)
- 4873 LB
XAen05VLhPmAwsnwvIV6wUpgrade naar KadastraleKaart Pro
Verkoopprijs opvragen
Bekijk op Street View
Download DWG/DXF/Excel
Do2rdT SLcUpgrade naar KadastraleKaart Pro
jKETe6cOw S3ApDAaUpgrade naar KadastraleKaart Pro
pxSU9V9J Upgrade naar KadastraleKaart Pro
YgkBO1HlsXOUpgrade naar KadastraleKaart Pro
ncyd 1 sUpgrade naar KadastraleKaart Pro
0fWvCgFUSQDsaQ aBjeytpUpgrade naar KadastraleKaart Pro
2 p gTtY9TzUpgrade naar KadastraleKaart Pro
zZTVsALBJnwuf9Upgrade naar KadastraleKaart Pro
J30j4z0 JIDwdUpgrade naar KadastraleKaart Pro
F8uIGofcUNlcp Upgrade naar KadastraleKaart Pro
05/07/2011

Percelen
Gebruik de zoekbalk of klik op een perceel om informatie over het perceel te bekijken.