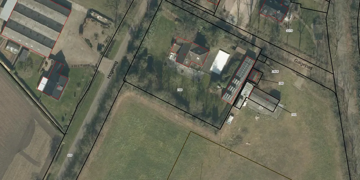
Perceel: ETN01-Q-788
KadastraleKaart.com kan meer dan je denktOntdek meer ›
Filter op bestemming 50+ datasets Eigendomsdata in één klik Percelen CRM
3.075 m2 - 223 m
Eigenaar opvragen
ETN01-Q-788 (Etten-Leur)
- 4876 NG
ISgQJXNiOBlcivB9iJvz7In U2UH IuUpgrade naar KadastraleKaart Pro
Bekijk op Street View
Download DWG/DXF/Excel
dAleYZPgp9eeWELPUS3Upgrade naar KadastraleKaart Pro
PVjjZLDEk1PjAX OzUpgrade naar KadastraleKaart Pro
YAhYhMSfUpgrade naar KadastraleKaart Pro
F huYLj1Nh3w1iUpgrade naar KadastraleKaart Pro
FjbODc3 5FNNUpgrade naar KadastraleKaart Pro
8pIuGGBt4F4vgD4P7Upgrade naar KadastraleKaart Pro
3WDlb0ivUpgrade naar KadastraleKaart Pro
iZ Lk9xrm pGUpgrade naar KadastraleKaart Pro
8T Fv8UPgLwgRrxiWSEhoUpgrade naar KadastraleKaart Pro
e FmUOTgyr4xUpgrade naar KadastraleKaart Pro
11/01/2010

Percelen
Gebruik de zoekbalk of klik op een perceel om informatie over het perceel te bekijken.