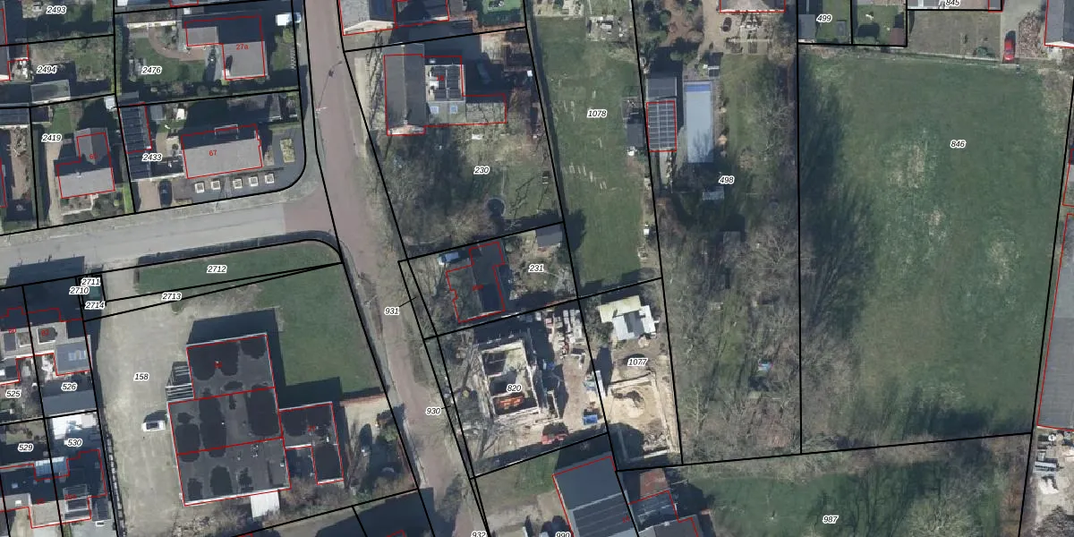
Perceel: EWK00-F-231
KadastraleKaart.com kan meer dan je denktOntdek meer ›
Filter op bestemming 50+ datasets Eigendomsdata in één klik Percelen CRM
420 m2 - 87 m
Eigenaar opvragen
EWK00-F-231 (Ewijk)
- 6645 AH
7OIPSI oZU 0 DR u 2YmnUpgrade naar KadastraleKaart Pro
Verkoopprijs opvragen
Bekijk op Street View
Download DWG/DXF/Excel
cjJDGviMf2Z7 X2Upgrade naar KadastraleKaart Pro
xmIsLIjvUpgrade naar KadastraleKaart Pro
Ee761H94QMj54bzK 01yUpgrade naar KadastraleKaart Pro
9DDBx6Fygeutr4Pr6S Upgrade naar KadastraleKaart Pro
6DMztJ2 70 cJK8w 5Upgrade naar KadastraleKaart Pro
UfIeH bNWHGNUpgrade naar KadastraleKaart Pro
mtSu79maRZFA GoWbUpgrade naar KadastraleKaart Pro
Sy9ovFXs81vLs6AUpgrade naar KadastraleKaart Pro
cOL EmB7KFLacc3RUpgrade naar KadastraleKaart Pro
PTKOU0Nv 1 x znCIUpgrade naar KadastraleKaart Pro
16/05/2022

Percelen
Gebruik de zoekbalk of klik op een perceel om informatie over het perceel te bekijken.