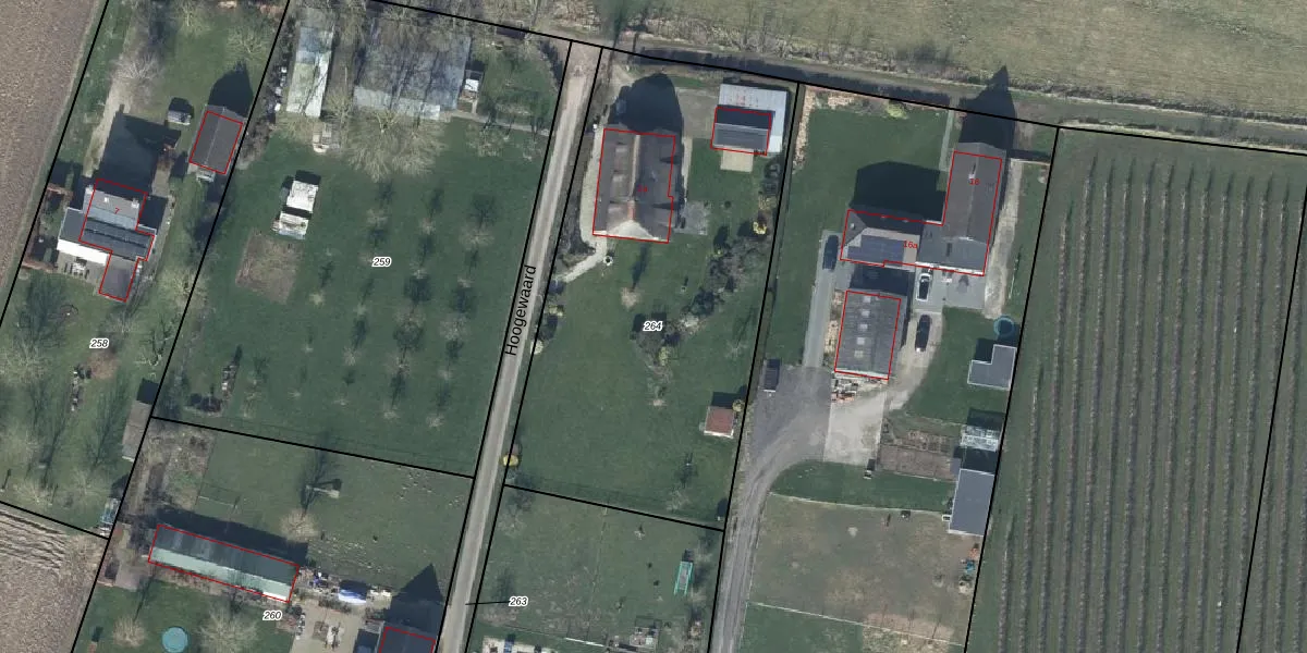
Perceel: EWK00-F-264
KadastraleKaart.com kan meer dan je denktOntdek meer ›
Filter op bestemming 50+ datasets Eigendomsdata in één klik Percelen CRM
2.260 m2 - 204 m
Eigenaar opvragen
EWK00-F-264 (Ewijk)
- 6645 AA
WayZPzyuknxvum2tSHr8Upgrade naar KadastraleKaart Pro
Bekijk op Street View
Download DWG/DXF/Excel
SenveQ eUpgrade naar KadastraleKaart Pro
PAx4wIJKUpgrade naar KadastraleKaart Pro
raUsuV05JPgHK1ZIVcjUpgrade naar KadastraleKaart Pro
PYTPHU XZczS FylMlj9V7Upgrade naar KadastraleKaart Pro
61M2vFf 1brN23 NhsUpgrade naar KadastraleKaart Pro
nvd agjrqyoEKx5iUpgrade naar KadastraleKaart Pro
CWP5eio LVUpgrade naar KadastraleKaart Pro
S kbUHj9PyfPKzUpgrade naar KadastraleKaart Pro
CpLE4KIPUpgrade naar KadastraleKaart Pro
Koohg7paPPByD H90rjCdUpgrade naar KadastraleKaart Pro
17/06/2003

Percelen
Gebruik de zoekbalk of klik op een perceel om informatie over het perceel te bekijken.