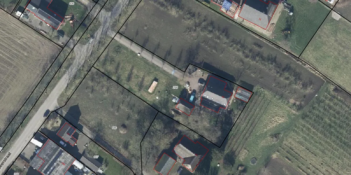
Perceel: EWK00-G-264
KadastraleKaart.com kan meer dan je denktOntdek meer ›
Filter op bestemming 50+ datasets Eigendomsdata in één klik Percelen CRM
2.500 m2 - 237 m
Eigenaar opvragen
EWK00-G-264 (Ewijk)
- 6645 CB
IK0PbNl ajgKSkqxnNN4Hg vHHEnIaUpgrade naar KadastraleKaart Pro
Verkoopprijs opvragen
Bekijk op Street View
Download DWG/DXF/Excel
4D c UuOsBjUpgrade naar KadastraleKaart Pro
DsQ F77dohTHTv YJQ jUpgrade naar KadastraleKaart Pro
aDH m2xw5zPUCJuUpgrade naar KadastraleKaart Pro
SHEN bQu ATXUpgrade naar KadastraleKaart Pro
KUdlN3gi1WGpyQMUpgrade naar KadastraleKaart Pro
tDv9miqZpb 9uGWu8TJ4iBUUpgrade naar KadastraleKaart Pro
yN5Gm2GeuE Dci SicPlUpgrade naar KadastraleKaart Pro
L 40B0u XstUpgrade naar KadastraleKaart Pro
f5DzWfZ1CcPBpN BCVWrnDXUpgrade naar KadastraleKaart Pro
hcPfeEZzrUpgrade naar KadastraleKaart Pro
14/04/2004

Percelen
Gebruik de zoekbalk of klik op een perceel om informatie over het perceel te bekijken.