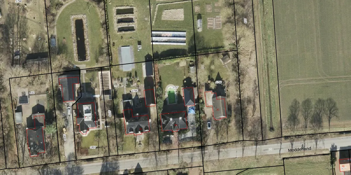
Perceel: FSW00-H-1757
KadastraleKaart.com kan meer dan je denktOntdek meer ›
Filter op bestemming 50+ datasets Eigendomsdata in één klik Percelen CRM
1.245 m2 - 152 m
Eigenaar opvragen
FSW00-H-1757 (Finsterwolde)
- 9684 CG
8hUFINJRJlZoU 9J5uCOpG7KYBGNoUpgrade naar KadastraleKaart Pro
Verkoopprijs opvragen
Bekijk op Street View
Download DWG/DXF/Excel
eLJR GFlVdJd4IhUpgrade naar KadastraleKaart Pro
IE v488CnnqByxsJV KcyVUpgrade naar KadastraleKaart Pro
mVwhGqpmu I9zyUpgrade naar KadastraleKaart Pro
Ld8BMHyeiUpgrade naar KadastraleKaart Pro
yHc4XXzGw be0 hUpgrade naar KadastraleKaart Pro
HgHxm7omYdJmyrC6IjSpqUpgrade naar KadastraleKaart Pro
E6mQ1c2cF gTuUpgrade naar KadastraleKaart Pro
lINzG07Cz02YuQBOiKxHMUpgrade naar KadastraleKaart Pro
EQKiw 8RE dQpGA ToM q0Upgrade naar KadastraleKaart Pro
qF11PEZN64EMV GgUpgrade naar KadastraleKaart Pro
01/03/2010

Percelen
Gebruik de zoekbalk of klik op een perceel om informatie over het perceel te bekijken.