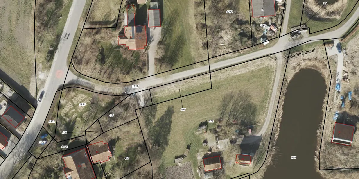
Perceel: FSW00-H-407
KadastraleKaart.com kan meer dan je denktOntdek meer ›
Filter op bestemming 50+ datasets Eigendomsdata in één klik Percelen CRM
Geen adressen bij dit perceel
310 m2 - 87 m
Eigenaar opvragen
FSW00-H-407 (Finsterwolde)
- Geen postcode aanwezig
4queC 5trIiQk 5qUFiS0EFrUpgrade naar KadastraleKaart Pro
Bekijk op Street View
Download DWG/DXF/Excel
K 7Y7nvdnr6GYB3MtM lUpgrade naar KadastraleKaart Pro
BuJ Fpkz 2Jx4JwsxUaapUpgrade naar KadastraleKaart Pro
Rz9NeUQD4G vVwkW NnbpJtUpgrade naar KadastraleKaart Pro
KWB2A5lmlky4Upgrade naar KadastraleKaart Pro
WIPKV4i4U gbO9pFuhUpgrade naar KadastraleKaart Pro
WOoh a2nvLJ Upgrade naar KadastraleKaart Pro
pwDVjgYJA1w paHLgzUpgrade naar KadastraleKaart Pro
m64r3YHnXjwfLrQX2JUpgrade naar KadastraleKaart Pro
eSPimR KkAycUpgrade naar KadastraleKaart Pro
JLq6DAqW GLL m NScVtlUpgrade naar KadastraleKaart Pro
04/10/1999

Percelen
Gebruik de zoekbalk of klik op een perceel om informatie over het perceel te bekijken.