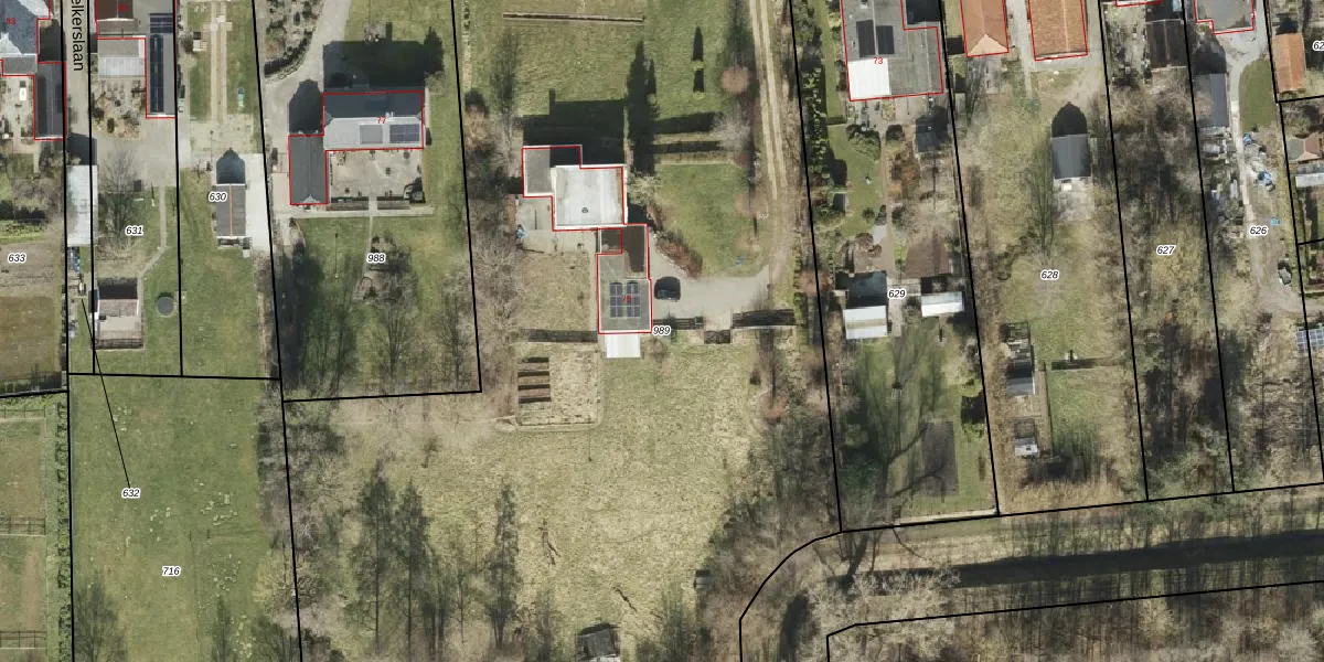
Perceel: FSW00-H-989
KadastraleKaart.com kan meer dan je denktOntdek meer ›
Filter op bestemming 50+ datasets Eigendomsdata in één klik Percelen CRM
7.360 m2 - 392 m
Eigenaar opvragen
FSW00-H-989 (Finsterwolde)
- 9684 CB
zxvuQRKPsDNQeMSLcUpgrade naar KadastraleKaart Pro
Verkoopprijs opvragen
Bekijk op Street View
Download DWG/DXF/Excel
qxgy mbWdGt4 ENYUpgrade naar KadastraleKaart Pro
WMKFbkKKsP F8MVKUpgrade naar KadastraleKaart Pro
mZjhpu S 4 c2Upgrade naar KadastraleKaart Pro
TS hfU9vk0c7y69Mr1Upgrade naar KadastraleKaart Pro
VnevgYgR fTffCOOslUpgrade naar KadastraleKaart Pro
I34AcwJBJpEurk2GUpgrade naar KadastraleKaart Pro
GWu lN i1lRV Ip bw3Upgrade naar KadastraleKaart Pro
lT2MHmWCINsKehqUpgrade naar KadastraleKaart Pro
Ki CqaOnFUpgrade naar KadastraleKaart Pro
h Y4AcS7bSTIa voy0Mb MzUpgrade naar KadastraleKaart Pro
14/11/1997

Percelen
Gebruik de zoekbalk of klik op een perceel om informatie over het perceel te bekijken.