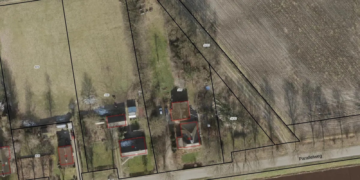
Perceel: GBG00-I-189
KadastraleKaart.com kan meer dan je denktOntdek meer ›
Filter op bestemming 50+ datasets Eigendomsdata in één klik Percelen CRM
3.400 m2 - 267 m
Eigenaar opvragen
GBG00-I-189 (Gramsbergen)
- 7782 PK
nQLmLYI3Ktpd0HKSfjcbqRVcB K8nUpgrade naar KadastraleKaart Pro
Verkoopprijs opvragen
Bekijk op Street View
Download DWG/DXF/Excel
N7x35j72TIxpUpgrade naar KadastraleKaart Pro
o xY6Z2F55hRmjDeIx8TqGhUpgrade naar KadastraleKaart Pro
Je EA0957qnTH9Vf5thxm Upgrade naar KadastraleKaart Pro
cTGPzQVKUDCtIjYUpgrade naar KadastraleKaart Pro
TqCNeOCG xNUpgrade naar KadastraleKaart Pro
DvlF1mafr Upgrade naar KadastraleKaart Pro
itB Mb OdprvbGS8vepsUpgrade naar KadastraleKaart Pro
I e OSdJlXjOOm7RGWRUpgrade naar KadastraleKaart Pro
c15yduIY7pwTSVUpgrade naar KadastraleKaart Pro
EkwwzSKR Upgrade naar KadastraleKaart Pro
06/10/2017

Percelen
Gebruik de zoekbalk of klik op een perceel om informatie over het perceel te bekijken.