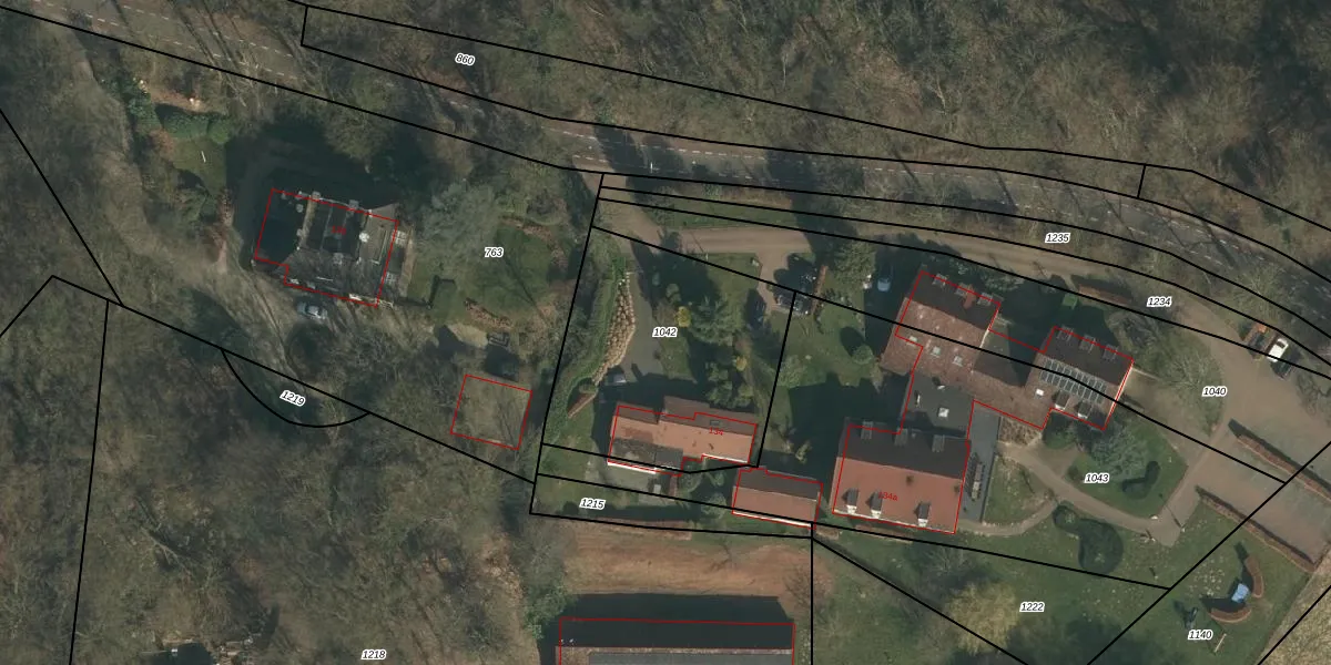
Perceel: GBK00-A-1042
910 m2 - 126 m
Eigenaar opvragen
GBK00-A-1042 (Groesbeek)
- 6571 BK
BG p 1qSAuMeCu4LPtoa0C3GqvCqpRUpgrade naar KadastraleKaart Pro
Bekijk op Street View
Download DWG/DXF/Excel
nL275D aUpgrade naar KadastraleKaart Pro
fjjE8AvpUpgrade naar KadastraleKaart Pro
7Of EipcmXUpgrade naar KadastraleKaart Pro
C Ae 7UIUpgrade naar KadastraleKaart Pro
f7cf2Ad Q4mvqZL9YkOzRUpgrade naar KadastraleKaart Pro
h KNK1B19X0i9bjDlAY2Upgrade naar KadastraleKaart Pro
itWze0KjRdRbfJKuL8axUpgrade naar KadastraleKaart Pro
DBXF uKyOdZ42Upgrade naar KadastraleKaart Pro
d1KTLYlGwUpgrade naar KadastraleKaart Pro
nZtYhc2HUpgrade naar KadastraleKaart Pro
22/08/2005

Percelen
Gebruik de zoekbalk of klik op een perceel om informatie over het perceel te bekijken.