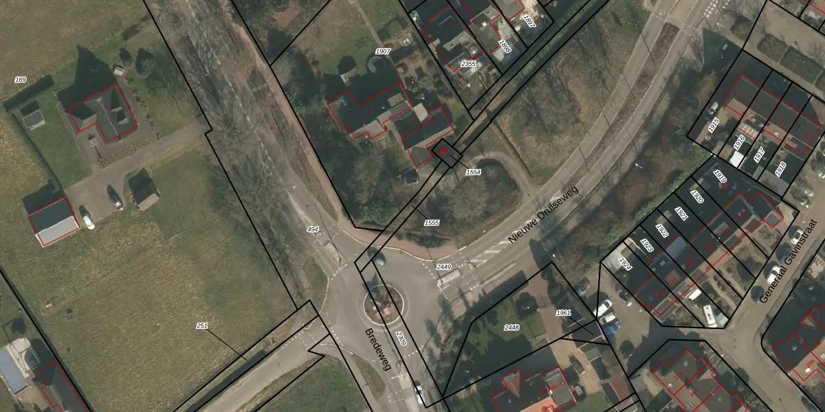
Perceel: GBK00-E-1555
KadastraleKaart.com kan meer dan je denktOntdek meer ›
Filter op bestemming 50+ datasets Eigendomsdata in één klik Percelen CRM
Geen adressen bij dit perceel
80 m2 - 72 m
Eigenaar opvragen
GBK00-E-1555 (Groesbeek)
- Geen postcode aanwezig
qyQ4COlH CxBsmN XUDBMUpgrade naar KadastraleKaart Pro
Bekijk op Street View
Download DWG/DXF/Excel
3KkRjk0 WGoCJX4NQ1vUpgrade naar KadastraleKaart Pro
XZ89aa7Cx5NQWEKUpgrade naar KadastraleKaart Pro
xuLNlaEhIUpgrade naar KadastraleKaart Pro
2wqf5 3vUFBrPH 5eDXtPM1Upgrade naar KadastraleKaart Pro
2AsKVN39m4B 9Upgrade naar KadastraleKaart Pro
B5wgXUuISLeW0HUpgrade naar KadastraleKaart Pro
HLw2Hk6LUpgrade naar KadastraleKaart Pro
VQ03KfCqXaNAR Upgrade naar KadastraleKaart Pro
gEAQu8RU wcKJGoQqUbUpgrade naar KadastraleKaart Pro
kch8WjWpsCcKTjqM8UUpgrade naar KadastraleKaart Pro
17/12/2008

Percelen
Gebruik de zoekbalk of klik op een perceel om informatie over het perceel te bekijken.