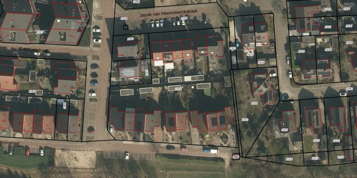
Perceel: GBK00-E-2352
3.705 m2 - 267 m
Eigenaar opvragen
GBK00-E-2352 (Groesbeek)
- 6562 XB -6562 XC
fBE56iYcX rUFWptGbPieM5y vnUpgrade naar KadastraleKaart Pro
Bekijk op Street View
Download DWG/DXF/Excel
INa DQi1SYUpgrade naar KadastraleKaart Pro
zasUeFQQvmUwUpgrade naar KadastraleKaart Pro
GtB6pnxz8t3rLUpgrade naar KadastraleKaart Pro
L NBOjvHs 68QUpgrade naar KadastraleKaart Pro
fH78pXPJe HJarbUpgrade naar KadastraleKaart Pro
GMqvOVxsfVt1LKMUpgrade naar KadastraleKaart Pro
kBCdQ3 8PDUkvXo3ZUpgrade naar KadastraleKaart Pro
ifNk537deL55F qEx82H x5Upgrade naar KadastraleKaart Pro
GM7s QULWGUpgrade naar KadastraleKaart Pro
r 2U Um7cF z6Kf asUpgrade naar KadastraleKaart Pro
05/07/2006

Percelen
Gebruik de zoekbalk of klik op een perceel om informatie over het perceel te bekijken.