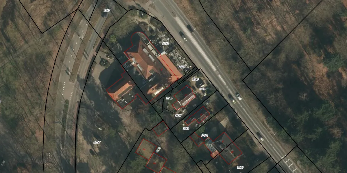
Perceel: GBK00-H-2341
Geen adressen bij dit perceel
14 m2 - 14 m
Eigenaar opvragen
GBK00-H-2341 (Groesbeek)
- Geen postcode aanwezig
Dy FiYgHBMWABBnhN9XETYiOBw SUpgrade naar KadastraleKaart Pro
Bekijk op Street View
Download DWG/DXF/Excel
QWN hRNRNuuT2bveD1 JUpgrade naar KadastraleKaart Pro
5KYESCtBGkcE0TUpgrade naar KadastraleKaart Pro
MIs7 Z0BUpgrade naar KadastraleKaart Pro
JXnkMc Upgrade naar KadastraleKaart Pro
KC4UT4zFlkao N1O4jUpgrade naar KadastraleKaart Pro
DUH9uGvKh00dMDriUpgrade naar KadastraleKaart Pro
GAvEtbOqfNomAyMK7FqLUpgrade naar KadastraleKaart Pro
qxW KlkmpslUpgrade naar KadastraleKaart Pro
juba7 GiHy1VBUpgrade naar KadastraleKaart Pro
97JEWAqs LL6StLkEZFsTGzUpgrade naar KadastraleKaart Pro
20/01/2009

Percelen
Gebruik de zoekbalk of klik op een perceel om informatie over het perceel te bekijken.