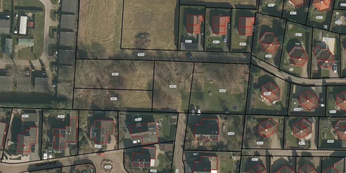
Perceel: GBK00-I-3663
Geen adressen bij dit perceel
665 m2 - 104 m
Eigenaar opvragen
GBK00-I-3663 (Groesbeek)
- Geen postcode aanwezig
B5VZOozB LicfTR8QUpgrade naar KadastraleKaart Pro
Bekijk op Street View
Download DWG/DXF/Excel
TGTRvg1oYagVdRiy4tZUpgrade naar KadastraleKaart Pro
LclKVzH sPzn4FsOUpgrade naar KadastraleKaart Pro
El4M3PO0embZUpgrade naar KadastraleKaart Pro
gCgctMOp4bJWiZdJhLUpgrade naar KadastraleKaart Pro
GPIRuXjHhWrpSmw4MUpgrade naar KadastraleKaart Pro
srHoyKzjD9zUpgrade naar KadastraleKaart Pro
VdEIxKRaSOV 63TS7synTUpgrade naar KadastraleKaart Pro
8gK 8Jv0Cooq4tjA WMDUpgrade naar KadastraleKaart Pro
zTJCzgUw5S MC Upgrade naar KadastraleKaart Pro
0Y1sz2lhwqN q1gUNUpgrade naar KadastraleKaart Pro
24/06/2024

Percelen
Gebruik de zoekbalk of klik op een perceel om informatie over het perceel te bekijken.