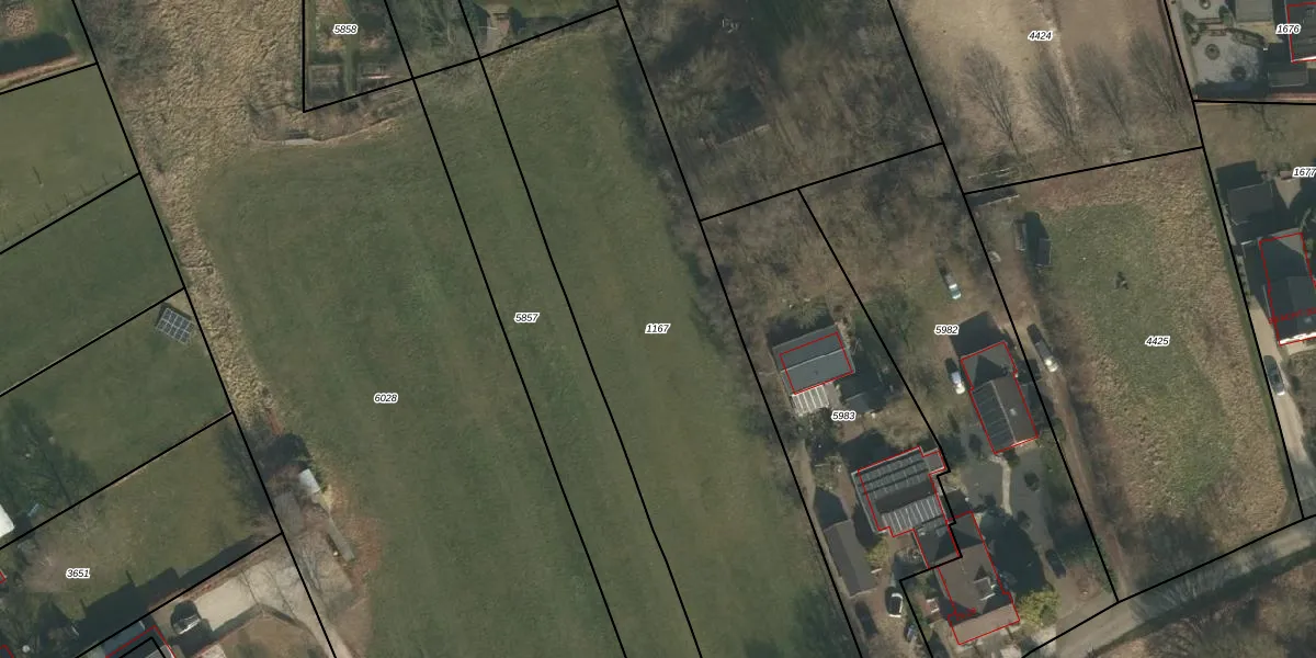
Perceel: GBK00-L-1167
Geen adressen bij dit perceel
2.857 m2 - 296 m
Eigenaar opvragen
GBK00-L-1167 (Groesbeek)
- Geen postcode aanwezig
nX7jvdwgXFk ZvZAUpgrade naar KadastraleKaart Pro
Bekijk op Street View
Download DWG/DXF/Excel
IuQ7otDd6raUpgrade naar KadastraleKaart Pro
iS4WQ11QBeeUpgrade naar KadastraleKaart Pro
0m 8kBCCyb8rTNGWeteAUpgrade naar KadastraleKaart Pro
HjZc5Q kBZ2pUpgrade naar KadastraleKaart Pro
RKlU rfESSUpgrade naar KadastraleKaart Pro
Bm 9RQ L A2zNTrcUpgrade naar KadastraleKaart Pro
V0k6d3xa0FBx 7hmUpgrade naar KadastraleKaart Pro
XTT cVmE1dP9L0o3Upgrade naar KadastraleKaart Pro
VHDKfXSV cce 1ieBqc Upgrade naar KadastraleKaart Pro
cUsqobtbZ2S9DNQUpgrade naar KadastraleKaart Pro
04/12/2003

Percelen
Gebruik de zoekbalk of klik op een perceel om informatie over het perceel te bekijken.