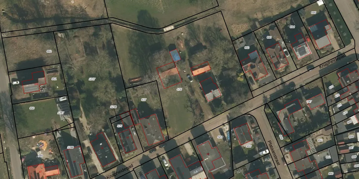
Perceel: GBK00-M-576
KadastraleKaart.com kan meer dan je denktOntdek meer ›
Filter op bestemming 50+ datasets Eigendomsdata in één klik Percelen CRM
3.220 m2 - 259 m
Eigenaar opvragen
GBK00-M-576 (Groesbeek)
- 6562 DW
dZf bRUzuFhKTzn DJri tUpgrade naar KadastraleKaart Pro
Bekijk op Street View
Download DWG/DXF/Excel
R3E1T7 vlgIXFELFv nUpgrade naar KadastraleKaart Pro
3CCIaUyTUpgrade naar KadastraleKaart Pro
pvW fctFuUpgrade naar KadastraleKaart Pro
WzFcvfDef 0 erVUpgrade naar KadastraleKaart Pro
aa8PC7jMDGONXUpgrade naar KadastraleKaart Pro
xP1iEfjmeizWPu6qdbUpgrade naar KadastraleKaart Pro
jD0dWLAx2q1yKrh3NW9 uyUpgrade naar KadastraleKaart Pro
RIAz6Ib2 hwbFn G74 92Upgrade naar KadastraleKaart Pro
5dnVwkuOJUpgrade naar KadastraleKaart Pro
UPrJYVhKqAWUpgrade naar KadastraleKaart Pro
09/05/2007

Percelen
Gebruik de zoekbalk of klik op een perceel om informatie over het perceel te bekijken.