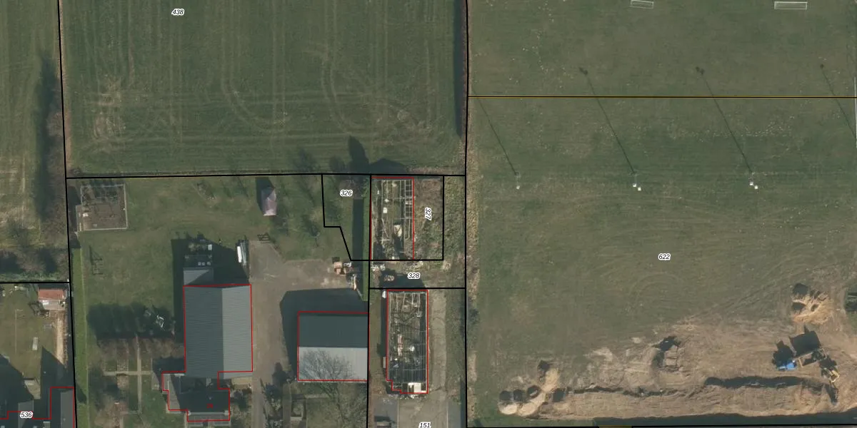
Perceel: GBK00-O-327
Geen adressen bij dit perceel
340 m2 - 74 m
Eigenaar opvragen
GBK00-O-327 (Groesbeek)
- Geen postcode aanwezig
HCO JM4scx3cm 3wbk0Lc34eg8zUpgrade naar KadastraleKaart Pro
Bekijk op Street View
Download DWG/DXF/Excel
sIAYJES 98 AYzYAg YxAPUpgrade naar KadastraleKaart Pro
N8L0TEv GYoFh4Upgrade naar KadastraleKaart Pro
3glbulI3KRKpUpgrade naar KadastraleKaart Pro
cNkc TNsNGd1XIRnRl4Upgrade naar KadastraleKaart Pro
MTOqUGubGDZUpgrade naar KadastraleKaart Pro
5smepZNhX3yE9knMCkUpgrade naar KadastraleKaart Pro
qVaYQvXoomd5pkmLqqUpgrade naar KadastraleKaart Pro
V RSYQYSMIsbw9N62BUz79Upgrade naar KadastraleKaart Pro
MB 3J uB Upgrade naar KadastraleKaart Pro
JIHGH2y YM KlC zDUpgrade naar KadastraleKaart Pro
28/11/2006

Percelen
Gebruik de zoekbalk of klik op een perceel om informatie over het perceel te bekijken.