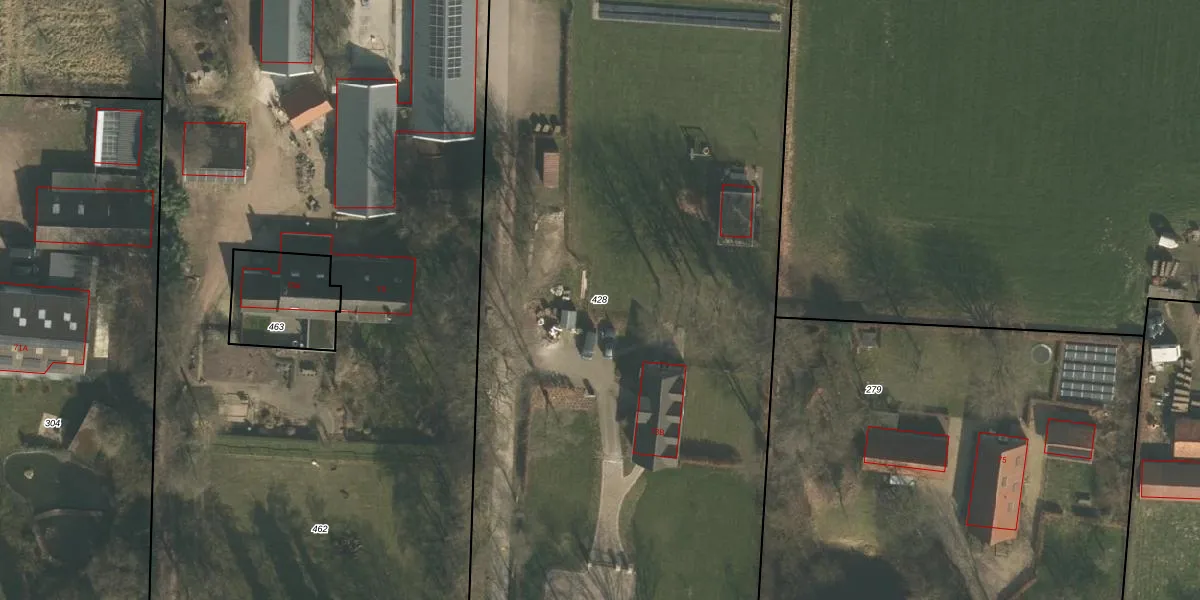
Perceel: GBK00-O-428
KadastraleKaart.com kan meer dan je denktOntdek meer ›
Filter op bestemming 50+ datasets Eigendomsdata in één klik Percelen CRM
5.705 m2 - 331 m
Eigenaar opvragen
GBK00-O-428 (Groesbeek)
- 6562 LT
0CLeWRGM6PUGJk24yv vG hHwUpgrade naar KadastraleKaart Pro
Verkoopprijs opvragen
Bekijk op Street View
Download DWG/DXF/Excel
cmv IfalAyKLPHd yDUpgrade naar KadastraleKaart Pro
oX0kfPUgY551su9f39d1EUpgrade naar KadastraleKaart Pro
b U8z9d n9skBf94tiUpgrade naar KadastraleKaart Pro
AzbIfhzPrxkh8AP1Co dRRUpgrade naar KadastraleKaart Pro
HtELLHIG3SyOAmbWUpgrade naar KadastraleKaart Pro
v PKO12I zNoZFfTq4JAUpgrade naar KadastraleKaart Pro
9bacqx HUpgrade naar KadastraleKaart Pro
W4kPfa pA cLgFVZAUpgrade naar KadastraleKaart Pro
Ie2 aqrZC9 NQNUpgrade naar KadastraleKaart Pro
MqMIlSPcDMQ0iKzBUpgrade naar KadastraleKaart Pro
17/03/2020

Percelen
Gebruik de zoekbalk of klik op een perceel om informatie over het perceel te bekijken.