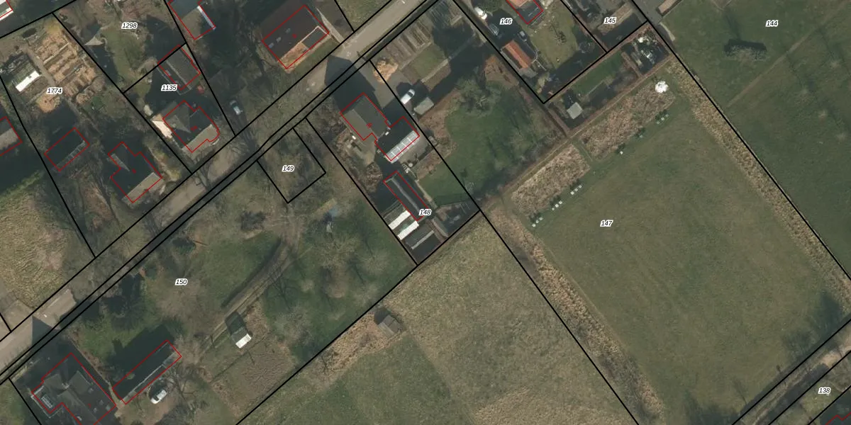
Perceel: GBK00-R-148
KadastraleKaart.com kan meer dan je denktOntdek meer ›
Filter op bestemming 50+ datasets Eigendomsdata in één klik Percelen CRM
875 m2 - 128 m
Eigenaar opvragen
GBK00-R-148 (Groesbeek)
- 6562 DL
Q K uqnXWlffB idt9chcUpgrade naar KadastraleKaart Pro
Verkoopprijs opvragen
Bekijk op Street View
Download DWG/DXF/Excel
TkceLj764 y7YbvDFlLYrUpgrade naar KadastraleKaart Pro
qIuXasdOr0ctUpgrade naar KadastraleKaart Pro
Ica8hqUCkMzUpgrade naar KadastraleKaart Pro
3eR9StBh8imoUpgrade naar KadastraleKaart Pro
JRo9H1ORI4XO9OBUpgrade naar KadastraleKaart Pro
n V si1y cG6ekEUCQL2CIUpgrade naar KadastraleKaart Pro
JR97Yn1rhUpgrade naar KadastraleKaart Pro
QArRuIJEUpgrade naar KadastraleKaart Pro
rd4DHNcNP8acqWCr pzxdjUpgrade naar KadastraleKaart Pro
fJfp1wUvtsdLwnzUpgrade naar KadastraleKaart Pro
25/06/2003

Percelen
Gebruik de zoekbalk of klik op een perceel om informatie over het perceel te bekijken.