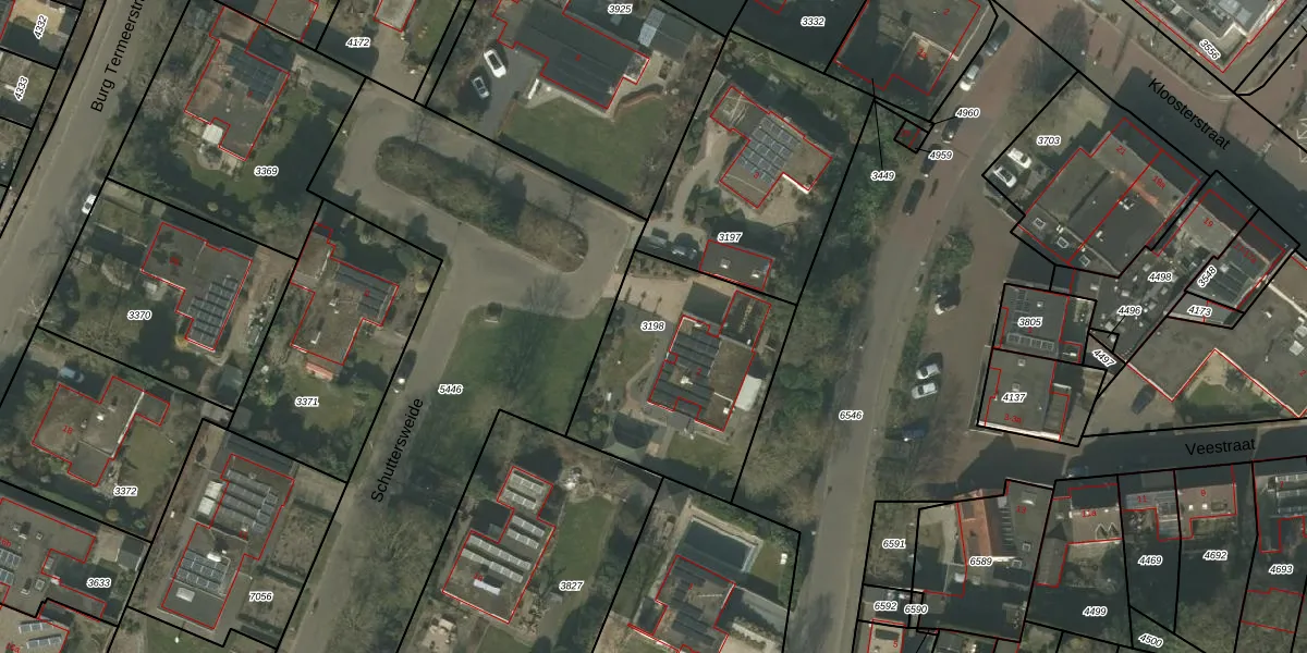
Perceel: GBV00-C-3198
KadastraleKaart.com kan meer dan je denktOntdek meer ›
Filter op bestemming 50+ datasets Eigendomsdata in één klik Percelen CRM
860 m2 - 116 m
Eigenaar opvragen
GBV00-C-3198 (Grubbenvorst)
- 5971 AE
pstrka0yrph1etfmyw8z w6Upgrade naar KadastraleKaart Pro
Bekijk op Street View
Download DWG/DXF/Excel
Q UDXZc dUHpa Xw8Yh8Upgrade naar KadastraleKaart Pro
9HC2Sy6e6Upgrade naar KadastraleKaart Pro
mP35hR CUpgrade naar KadastraleKaart Pro
Rydw4Vfe s72whPfUpgrade naar KadastraleKaart Pro
MriUC91LJUpgrade naar KadastraleKaart Pro
PFXPhIUgO XMiP aUpgrade naar KadastraleKaart Pro
7QTm9iQx7ekYguUpgrade naar KadastraleKaart Pro
8cFiS7GBiVJ Upgrade naar KadastraleKaart Pro
YV 77 5l62hPZUpgrade naar KadastraleKaart Pro
GBK6BQF wd9LNma NeahUpgrade naar KadastraleKaart Pro
23/07/2002

Percelen
Gebruik de zoekbalk of klik op een perceel om informatie over het perceel te bekijken.