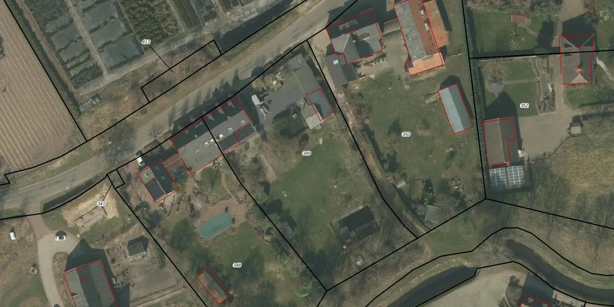
Perceel: GBV00-K-349
KadastraleKaart.com kan meer dan je denktOntdek meer ›
Filter op bestemming 50+ datasets Eigendomsdata in één klik Percelen CRM
2.685 m2 - 221 m
Eigenaar opvragen
GBV00-K-349 (Grubbenvorst)
- 5973 RE
nbyEqj 5yY mHqX0 1FGUpgrade naar KadastraleKaart Pro
Verkoopprijs opvragen
Bekijk op Street View
Download DWG/DXF/Excel
Z80vTtzIov 4U50iw JClNTUpgrade naar KadastraleKaart Pro
sgmNYHlEry PUpgrade naar KadastraleKaart Pro
fTS4N5ESOze3Sxt E estUpgrade naar KadastraleKaart Pro
wiQlNeUrA9x0Upgrade naar KadastraleKaart Pro
c 4h5iYCby XD Upgrade naar KadastraleKaart Pro
AD6Yq4aBNJAUpgrade naar KadastraleKaart Pro
dW 5Aa8UFqWFxDQpuUpgrade naar KadastraleKaart Pro
qnoVc2kYQH3HUpgrade naar KadastraleKaart Pro
OdDrfER thJj 2iIKUpgrade naar KadastraleKaart Pro
Leg 4d4jd828bvhyBUpgrade naar KadastraleKaart Pro
15/05/2006

Percelen
Gebruik de zoekbalk of klik op een perceel om informatie over het perceel te bekijken.