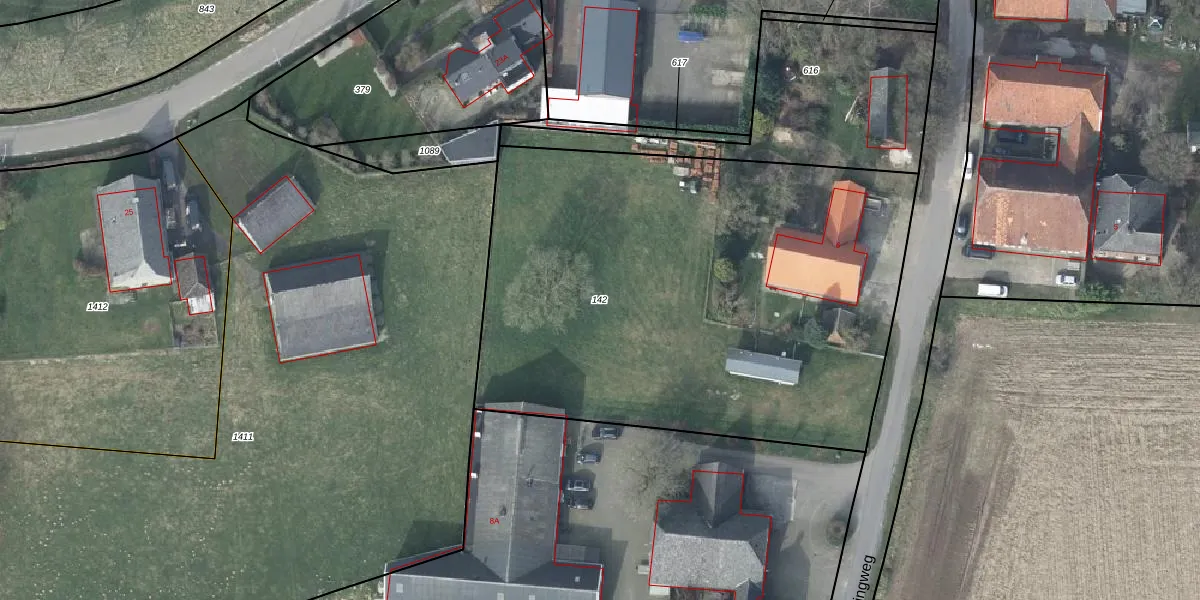
Perceel: GDG00-H-142
KadastraleKaart.com kan meer dan je denktOntdek meer ›
Filter op bestemming 50+ datasets Eigendomsdata in één klik Percelen CRM
3.120 m2 - 227 m
Eigenaar opvragen
GDG00-H-142 (Gendringen)
- 7081 HR
G9dbrDgKZ YvlCMdM1dlUpgrade naar KadastraleKaart Pro
Verkoopprijs opvragen
Bekijk op Street View
Download DWG/DXF/Excel
dgjh126IlLbdRuqkL VqOWOUpgrade naar KadastraleKaart Pro
EE7TqXTzmNUkcjUpgrade naar KadastraleKaart Pro
ajr v5n1kdBoleOZUpgrade naar KadastraleKaart Pro
WUBTz8OZV0ITmTA2IhkaUpgrade naar KadastraleKaart Pro
5muSfr EqUyJhT1e2DRhUpgrade naar KadastraleKaart Pro
b GOtz mdDeARA9ePvTO53pUpgrade naar KadastraleKaart Pro
d1LrZx83 XUpgrade naar KadastraleKaart Pro
4Z ACWAJzz yIYCrGiUpgrade naar KadastraleKaart Pro
K 9vJcDv4 M W68wK tUpgrade naar KadastraleKaart Pro
aPC4L0NqtKgVnDwYW5 9 Upgrade naar KadastraleKaart Pro
29/10/2008

Percelen
Gebruik de zoekbalk of klik op een perceel om informatie over het perceel te bekijken.