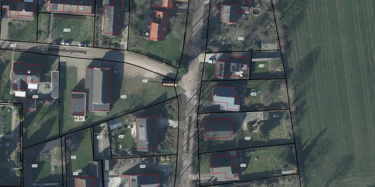
Perceel: GDG00-H-668
KadastraleKaart.com kan meer dan je denktOntdek meer ›
Filter op bestemming 50+ datasets Eigendomsdata in één klik Percelen CRM
Geen adressen bij dit perceel
4.547 m2 - 862 m
Eigenaar opvragen
GDG00-H-668 (Gendringen)
- Geen postcode aanwezig
lDhBUiQFybVQXVAVY NvFtUpgrade naar KadastraleKaart Pro
Bekijk op Street View
Download DWG/DXF/Excel
1p2AdJV1ELs Upgrade naar KadastraleKaart Pro
WPW TSCeKWe kd zXlHhUUpgrade naar KadastraleKaart Pro
ybevf3LDFr9D7jr2rUpgrade naar KadastraleKaart Pro
0eiwOlUHUpgrade naar KadastraleKaart Pro
la4dzpoPszTfUpgrade naar KadastraleKaart Pro
lTJZXmZs Q6ENUpgrade naar KadastraleKaart Pro
S HqitbKfKq c1SvUpgrade naar KadastraleKaart Pro
2vB3alCfe3UFz MUpgrade naar KadastraleKaart Pro
TdkSiMVOoE2w zNSF37Upgrade naar KadastraleKaart Pro
jYTTDKUN1Ae1 QPlUpgrade naar KadastraleKaart Pro
21/12/2022

Percelen
Gebruik de zoekbalk of klik op een perceel om informatie over het perceel te bekijken.