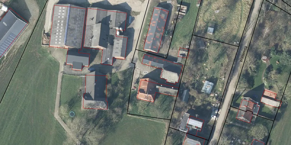
Perceel: GDG00-H-956
KadastraleKaart.com kan meer dan je denktOntdek meer ›
Filter op bestemming 50+ datasets Eigendomsdata in één klik Percelen CRM
2.410 m2 - 300 m
Eigenaar opvragen
GDG00-H-956 (Gendringen)
- 7081 HG
jbs6W2o vzVzdsL sI 0XX9hUpgrade naar KadastraleKaart Pro
Verkoopprijs opvragen
Bekijk op Street View
Download DWG/DXF/Excel
ei1eqal1B2sC XqIioUpgrade naar KadastraleKaart Pro
vMtxhHmqDRUpgrade naar KadastraleKaart Pro
mNaSSOqgzfZuh4Ern0UnZ5Upgrade naar KadastraleKaart Pro
Vio7joZu7o1Upgrade naar KadastraleKaart Pro
QOrEQTta9coJ TUpgrade naar KadastraleKaart Pro
WJIUMiCsCz4mXpajrXaUpgrade naar KadastraleKaart Pro
L7v n35GUKlyd Jc71Upgrade naar KadastraleKaart Pro
3n85G1 rCUpgrade naar KadastraleKaart Pro
dnM 50bjp7URQE8vpPJmIUpgrade naar KadastraleKaart Pro
V83vSUI3AfBENUpgrade naar KadastraleKaart Pro
30/03/2006

Percelen
Gebruik de zoekbalk of klik op een perceel om informatie over het perceel te bekijken.