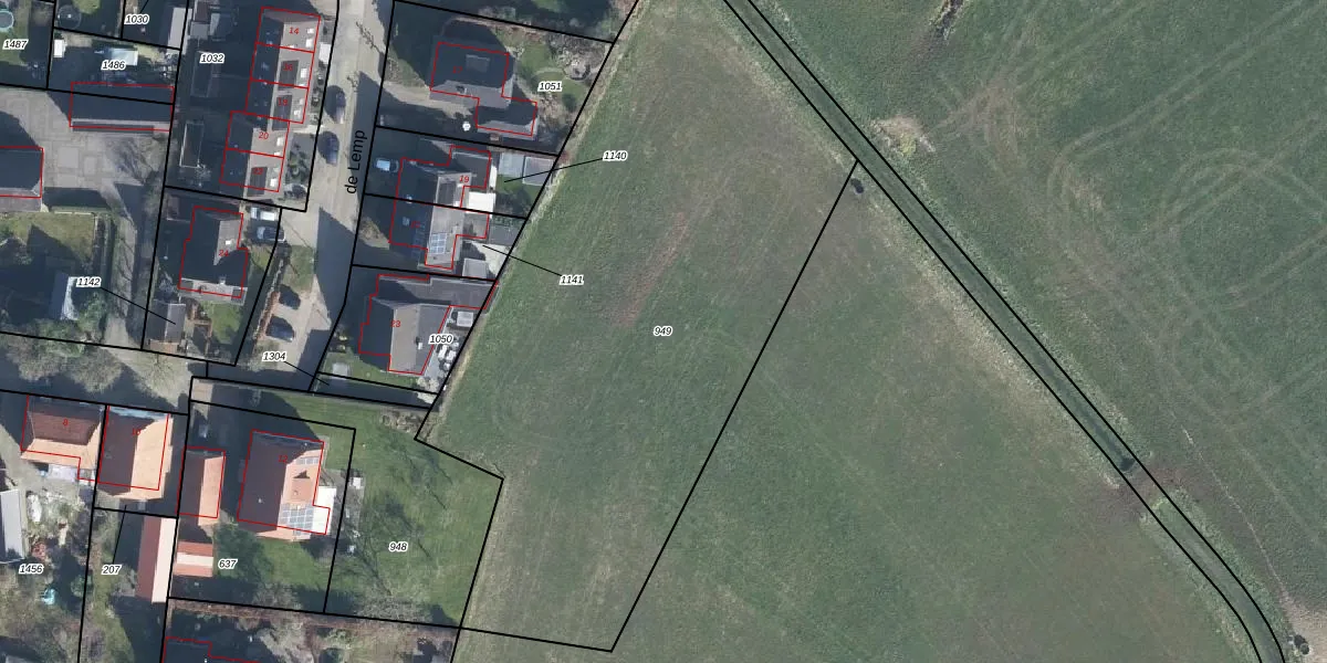
Perceel: GDG00-I-949
KadastraleKaart.com kan meer dan je denktOntdek meer ›
Filter op bestemming 50+ datasets Eigendomsdata in één klik Percelen CRM
Geen adressen bij dit perceel
3.400 m2 - 273 m
Eigenaar opvragen
GDG00-I-949 (Gendringen)
- Geen postcode aanwezig
0b29F4sUn5IY6UsgC1 VMRUpgrade naar KadastraleKaart Pro
Bekijk op Street View
Download DWG/DXF/Excel
TZBh79poZ btu5TeUpgrade naar KadastraleKaart Pro
SXgd5CZeuIFCUpgrade naar KadastraleKaart Pro
h65kK8mNHwLUpgrade naar KadastraleKaart Pro
OX7rIKp RHIMUpgrade naar KadastraleKaart Pro
kL6tLxhRF4kHB UOZ9Upgrade naar KadastraleKaart Pro
HJv 2a5T 4cWY6KKdP QYwUpgrade naar KadastraleKaart Pro
eHXztMmyGbh LItU33Upgrade naar KadastraleKaart Pro
uFw o MZzOQ5i9hUpgrade naar KadastraleKaart Pro
nbmQ XSz3Upgrade naar KadastraleKaart Pro
KJoYo 0vJZFUpgrade naar KadastraleKaart Pro
14/10/2003

Percelen
Gebruik de zoekbalk of klik op een perceel om informatie over het perceel te bekijken.