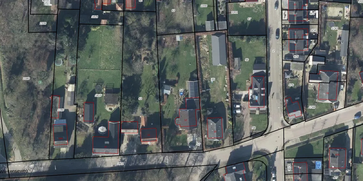
Perceel: GDG00-K-54
KadastraleKaart.com kan meer dan je denktOntdek meer ›
Filter op bestemming 50+ datasets Eigendomsdata in één klik Percelen CRM
1.405 m2 - 173 m
Eigenaar opvragen
GDG00-K-54 (Gendringen)
- 7081 HV
dLCfIrf1ubtMr K8Za8LT6VdjgYDnUpgrade naar KadastraleKaart Pro
Verkoopprijs opvragen
Bekijk op Street View
Download DWG/DXF/Excel
Sqi2ytV lzbkFq5PUpgrade naar KadastraleKaart Pro
NZx9G04c 6a4RXd5FPssUpgrade naar KadastraleKaart Pro
gJE DT5iOxAtOf0Upgrade naar KadastraleKaart Pro
KG9 gpyS1ncg fno E2Upgrade naar KadastraleKaart Pro
OyfLnfeZhXqvTHYRM cUpgrade naar KadastraleKaart Pro
nVS2ZfUPrQxcbAhK IdUpgrade naar KadastraleKaart Pro
zly0pWcMouD6Upgrade naar KadastraleKaart Pro
qOPmL0p 5F3bioVUpgrade naar KadastraleKaart Pro
urRWyB0k Upgrade naar KadastraleKaart Pro
rkUgKST2X rR B 3Upgrade naar KadastraleKaart Pro
05/04/2002

Percelen
Gebruik de zoekbalk of klik op een perceel om informatie over het perceel te bekijken.