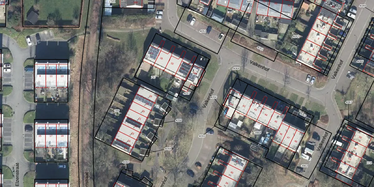
Perceel: GDG00-L-4057
KadastraleKaart.com kan meer dan je denktOntdek meer ›
Filter op bestemming 50+ datasets Eigendomsdata in één klik Percelen CRM
Geen adressen bij dit perceel
54 m2 - 64 m
Eigenaar opvragen
GDG00-L-4057 (Gendringen)
- Geen postcode aanwezig
6g KVU4we4uH66tj8F b eRl5i5I UUpgrade naar KadastraleKaart Pro
Bekijk op Street View
Download DWG/DXF/Excel
HFV yCFYSUpgrade naar KadastraleKaart Pro
UzqI wF64b6le7Upgrade naar KadastraleKaart Pro
6aD ejcuusa F5G6JLZzUpgrade naar KadastraleKaart Pro
8SXTssfElyQojlBUpgrade naar KadastraleKaart Pro
6TEo S0r6rZjRI8wVUZSUpgrade naar KadastraleKaart Pro
A0rsfAhyAhRy c G 5QUpgrade naar KadastraleKaart Pro
finW BerBytA9fUpgrade naar KadastraleKaart Pro
omM b7iVrVcSXwFUpgrade naar KadastraleKaart Pro
1sKvX lwlmMdhOAIZUpgrade naar KadastraleKaart Pro
I0liMcq9AhnhnbRJP hrUpgrade naar KadastraleKaart Pro
20/07/2015

Percelen
Gebruik de zoekbalk of klik op een perceel om informatie over het perceel te bekijken.