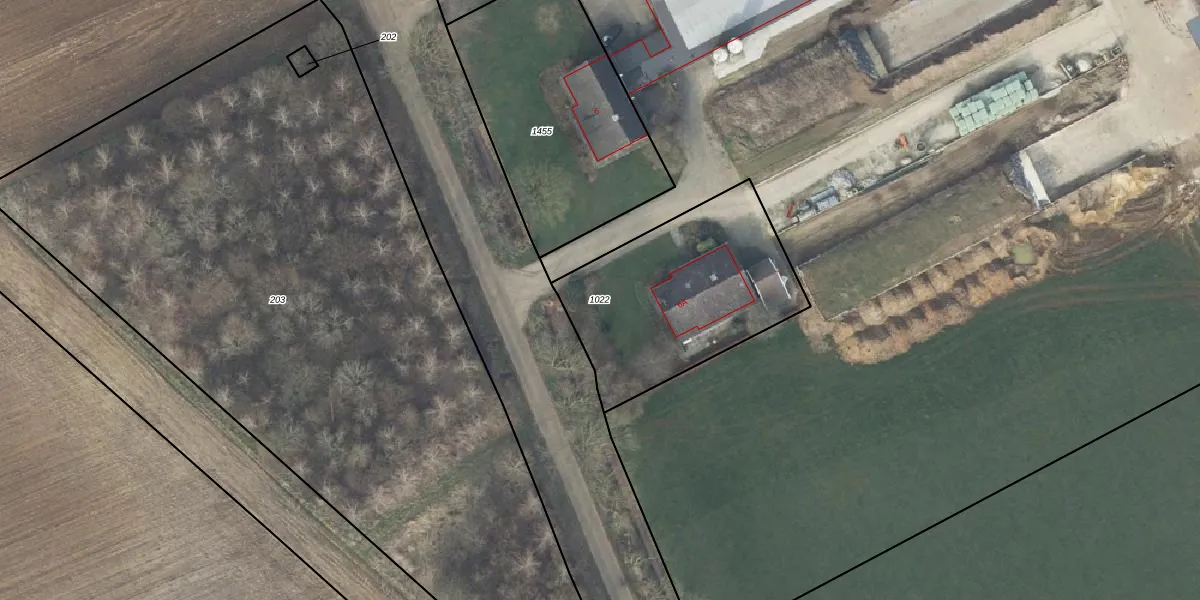
Perceel: GDG00-R-1022
KadastraleKaart.com kan meer dan je denktOntdek meer ›
Filter op bestemming 50+ datasets Eigendomsdata in één klik Percelen CRM
875 m2 - 123 m
Eigenaar opvragen
GDG00-R-1022 (Gendringen)
- 7084 BP
DGYOZa k PTcQcYkRet GmUyBxEIBUpgrade naar KadastraleKaart Pro
Bekijk op Street View
Download DWG/DXF/Excel
fq31n L8PnzbZUpgrade naar KadastraleKaart Pro
LeWnKJWCwCOswvFH DUpgrade naar KadastraleKaart Pro
7OIAyoVmfsUpgrade naar KadastraleKaart Pro
0PLt8S ids vNcdpjMz1W2hUpgrade naar KadastraleKaart Pro
pdSC3P z6 wH i aTUpgrade naar KadastraleKaart Pro
l1 fV zLp1Upgrade naar KadastraleKaart Pro
yNST8Shjz Upgrade naar KadastraleKaart Pro
2vlLs8L5kBdgQBhUpgrade naar KadastraleKaart Pro
ujfGDANg jUpgrade naar KadastraleKaart Pro
a bKSWK3Xe 3bGPdaUpgrade naar KadastraleKaart Pro
02/04/2003

Percelen
Gebruik de zoekbalk of klik op een perceel om informatie over het perceel te bekijken.