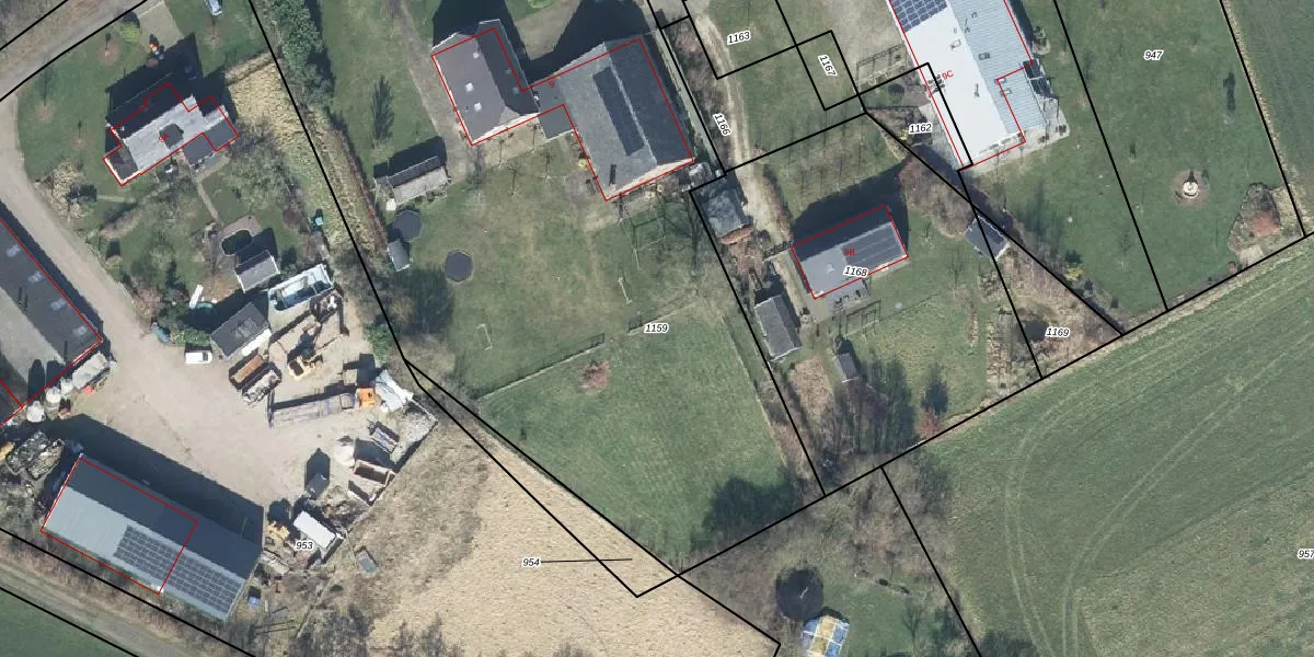
Perceel: GDG00-R-1159
KadastraleKaart.com kan meer dan je denktOntdek meer ›
Filter op bestemming 50+ datasets Eigendomsdata in één klik Percelen CRM
5.659 m2 - 323 m
Eigenaar opvragen
GDG00-R-1159 (Gendringen)
- 7084 BH
Ab2NIE 5EPQ5rhvFiE 5dMz5RWhUpgrade naar KadastraleKaart Pro
Bekijk op Street View
Download DWG/DXF/Excel
W jqsJFEUpgrade naar KadastraleKaart Pro
GKatGaSi7ixiy2Upgrade naar KadastraleKaart Pro
6fJClCDmqRZlUpgrade naar KadastraleKaart Pro
15zLej6gilbORWPQ5VQUpgrade naar KadastraleKaart Pro
K3I2Ek3mRyc QrPdGMjFhu9Upgrade naar KadastraleKaart Pro
XmD8cywz5NUpgrade naar KadastraleKaart Pro
fviLdb20hbUBK 9cNmsVeTUpgrade naar KadastraleKaart Pro
L62gTFvMYl TL Qm1DkUpLUpgrade naar KadastraleKaart Pro
JPnh dbkTTnT sn5Upgrade naar KadastraleKaart Pro
uBCs8FWChUpgrade naar KadastraleKaart Pro
26/07/2012

Percelen
Gebruik de zoekbalk of klik op een perceel om informatie over het perceel te bekijken.