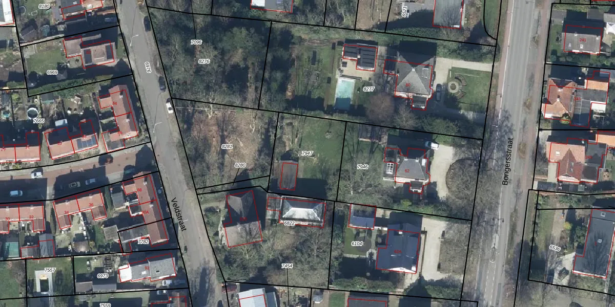
Perceel: GDG00-T-7947
KadastraleKaart.com kan meer dan je denktOntdek meer ›
Filter op bestemming 50+ datasets Eigendomsdata in één klik Percelen CRM
Geen adressen bij dit perceel
585 m2 - 97 m
Eigenaar opvragen
GDG00-T-7947 (Gendringen)
- Geen postcode aanwezig
tadkmNp a1RfNy9WFh1J5JNueB1Upgrade naar KadastraleKaart Pro
Bekijk op Street View
Download DWG/DXF/Excel
P1tEVN8DUpgrade naar KadastraleKaart Pro
D6N q SvUpgrade naar KadastraleKaart Pro
9OcLimvfdtcW oHQYUpgrade naar KadastraleKaart Pro
Gn5LDZgdFUpgrade naar KadastraleKaart Pro
1Lol oH Upgrade naar KadastraleKaart Pro
8dbOn5PBwT2e gOLYR3Upgrade naar KadastraleKaart Pro
jxfAp5utUJA96x34Gn Upgrade naar KadastraleKaart Pro
DzL7PKB3Upgrade naar KadastraleKaart Pro
cJugcouJxN1vbpsNray Upgrade naar KadastraleKaart Pro
LpnfP Or03G8ptv YUpgrade naar KadastraleKaart Pro
14/04/2022

Percelen
Gebruik de zoekbalk of klik op een perceel om informatie over het perceel te bekijken.