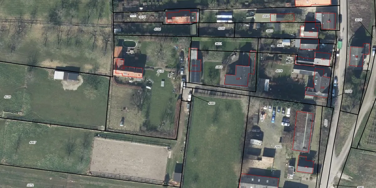
Perceel: GDM00-A-4080
KadastraleKaart.com kan meer dan je denktOntdek meer ›
Filter op bestemming 50+ datasets Eigendomsdata in één klik Percelen CRM
Geen adressen bij dit perceel
37 m2 - 25 m
Eigenaar opvragen
GDM00-A-4080 (Geldermalsen)
- Geen postcode aanwezig
h0SAwbnbIINYRmbgUpgrade naar KadastraleKaart Pro
Bekijk op Street View
Download DWG/DXF/Excel
Sho2IeMUUpgrade naar KadastraleKaart Pro
qQfYmKCpVUpgrade naar KadastraleKaart Pro
NnkVF6UK3kUpgrade naar KadastraleKaart Pro
yfHwa FEtTM bmUpgrade naar KadastraleKaart Pro
1MxAynoGRoUpgrade naar KadastraleKaart Pro
qD8IJFNegmXUpgrade naar KadastraleKaart Pro
rYMFNV5bKaLiAbp6FUpgrade naar KadastraleKaart Pro
oJlfRDpPRYkYUpgrade naar KadastraleKaart Pro
KpCIvbU8rnPcRJUpgrade naar KadastraleKaart Pro
mSa2Ms ej5FnMKaseC dB JUpgrade naar KadastraleKaart Pro
24/06/2004

Percelen
Gebruik de zoekbalk of klik op een perceel om informatie over het perceel te bekijken.