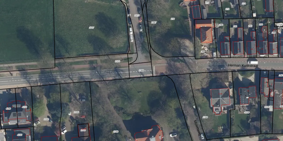
Perceel: GDM00-G-2368
KadastraleKaart.com kan meer dan je denktOntdek meer ›
Filter op bestemming 50+ datasets Eigendomsdata in één klik Percelen CRM
Geen adressen bij dit perceel
160 m2 - 53 m
Eigenaar opvragen
GDM00-G-2368 (Geldermalsen)
- Geen postcode aanwezig
YnL0cZC DjbAttzJrNQtsAxiBUpgrade naar KadastraleKaart Pro
Bekijk op Street View
Download DWG/DXF/Excel
F ypbzw8TmTKBxmqeMX5 iUpgrade naar KadastraleKaart Pro
EuZxw zFtoW88NGaiqcRvhUpgrade naar KadastraleKaart Pro
PQbh 4L9zOC5IQ nUpgrade naar KadastraleKaart Pro
qFYslNxmfUpgrade naar KadastraleKaart Pro
6r fRsUSUpgrade naar KadastraleKaart Pro
oN2J 5MwDP i7NgozUpgrade naar KadastraleKaart Pro
PF0sUGie0UebFKK2RTOneUpgrade naar KadastraleKaart Pro
Nr91IXpcjIenUpgrade naar KadastraleKaart Pro
NMU 4Dkc51Upgrade naar KadastraleKaart Pro
dOlYAS53p6rVy V x0A3MlUpgrade naar KadastraleKaart Pro
14/08/2006

Percelen
Gebruik de zoekbalk of klik op een perceel om informatie over het perceel te bekijken.