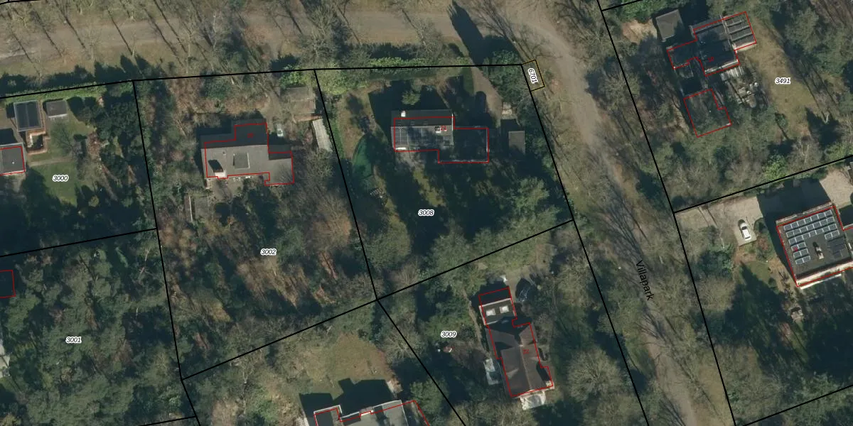
Perceel: GDP00-C-3008
KadastraleKaart.com kan meer dan je denktOntdek meer ›
Filter op bestemming 50+ datasets Eigendomsdata in één klik Percelen CRM
2.278 m2 - 193 m
Eigenaar opvragen
GDP00-C-3008 (Geldrop)
- 5667 HW
iGQK iDpD3vDWS5HUpgrade naar KadastraleKaart Pro
Verkoopprijs opvragen
Bekijk op Street View
Download DWG/DXF/Excel
0DlXoGWXdpsdlOUpgrade naar KadastraleKaart Pro
ZGgeOCFqT C5 qEZ1v6sUpgrade naar KadastraleKaart Pro
qUAURqjy w9pGlV4dvQUpgrade naar KadastraleKaart Pro
aBwW5PQaVnUpgrade naar KadastraleKaart Pro
PfCh0IdoOx8Upgrade naar KadastraleKaart Pro
b8TIQfAkhUpgrade naar KadastraleKaart Pro
uCx73ZMXwie5von0UUpgrade naar KadastraleKaart Pro
s91 RbSrKEY9TfUpgrade naar KadastraleKaart Pro
cGAtfzq WomSOwh0eQslEUpgrade naar KadastraleKaart Pro
8n4zHY2i1Ou7tx BUpgrade naar KadastraleKaart Pro
09/09/2024

Percelen
Gebruik de zoekbalk of klik op een perceel om informatie over het perceel te bekijken.