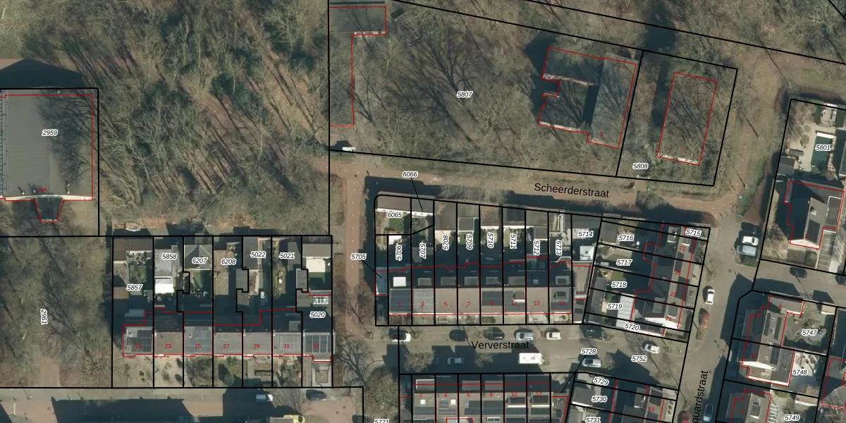
Perceel: GDP00-C-6066
Geen adressen bij dit perceel
40 m2 - 26 m
Eigenaar opvragen
GDP00-C-6066 (Geldrop)
- Geen postcode aanwezig
t4DOWwMH1U0FVRY Upgrade naar KadastraleKaart Pro
Bekijk op Street View
Download DWG/DXF/Excel
0Ph3GIpKQvOzHd1 FNMny 1Upgrade naar KadastraleKaart Pro
pvN6WEFgvNX31BMUpgrade naar KadastraleKaart Pro
n5KVa4JvY8v BrkgUpgrade naar KadastraleKaart Pro
gxSqPsGC3 bUpgrade naar KadastraleKaart Pro
0BMjwSlhc0CPZZpbkqdMUpgrade naar KadastraleKaart Pro
hIrcTeZW4CD3OXVU3VYUpgrade naar KadastraleKaart Pro
VF jPM8ghyOxKGdpfSPkUpgrade naar KadastraleKaart Pro
KfA9CbXq kUpgrade naar KadastraleKaart Pro
30 Ucb5X 7P5WlZihBKTl2Upgrade naar KadastraleKaart Pro
7FMlfsm nH GYpU56QAiUpgrade naar KadastraleKaart Pro
23/07/2009

Percelen
Gebruik de zoekbalk of klik op een perceel om informatie over het perceel te bekijken.