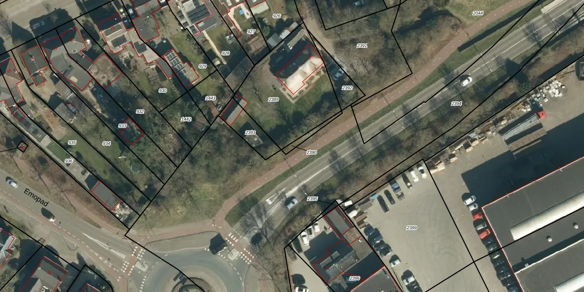
Perceel: GDP00-E-2390
Geen adressen bij dit perceel
38 m2 - 52 m
Eigenaar opvragen
GDP00-E-2390 (Geldrop)
- Geen postcode aanwezig
G2tlN3yS0s4HEJaHIbyUpgrade naar KadastraleKaart Pro
Bekijk op Street View
Download DWG/DXF/Excel
sRBrvIvgt c3jXkzUpgrade naar KadastraleKaart Pro
OyVcx A54olnzfkvd4Upgrade naar KadastraleKaart Pro
adiA n47IsUpgrade naar KadastraleKaart Pro
QhSyaH6n ji26p5TwK3LUpgrade naar KadastraleKaart Pro
VBxRdga8Qu4HDk YWUpgrade naar KadastraleKaart Pro
wEnuqKAuTfrdUpgrade naar KadastraleKaart Pro
GXSviSRzVVW0jm v d 6Upgrade naar KadastraleKaart Pro
qw TOl7Faaqv OXUpgrade naar KadastraleKaart Pro
8lwBo9mAGje1Upgrade naar KadastraleKaart Pro
8zv byNlchcow2Upgrade naar KadastraleKaart Pro
10/06/2009

Percelen
Gebruik de zoekbalk of klik op een perceel om informatie over het perceel te bekijken.