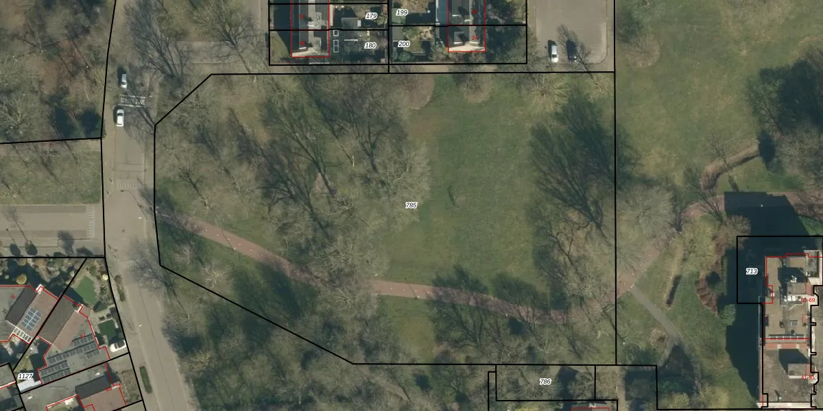
Perceel: GDP00-E-785
Geen adressen bij dit perceel
7.232 m2 - 339 m
Eigenaar opvragen
GDP00-E-785 (Geldrop)
- Geen postcode aanwezig
3HWq8ihbCWlbCXuw 97GkeeObrUpgrade naar KadastraleKaart Pro
Bekijk op Street View
Download DWG/DXF/Excel
cwkno11u2MD5OdFTUpgrade naar KadastraleKaart Pro
zX89hJJTG611MSRv36Zh WUpgrade naar KadastraleKaart Pro
lRVhyAcKCApPEeHUpgrade naar KadastraleKaart Pro
Cf5 yfN88bN2GY4Upgrade naar KadastraleKaart Pro
XPrjXhMo6vunxONjOdLUpgrade naar KadastraleKaart Pro
N EKjleCFUpgrade naar KadastraleKaart Pro
s22yM E4H2vTCYkc6Kfw AUpgrade naar KadastraleKaart Pro
5ykRXPHh7wm1Upgrade naar KadastraleKaart Pro
29ap7X6 AHCiKkdgF3O0fKUpgrade naar KadastraleKaart Pro
2kVD 7O a4XCRIUpgrade naar KadastraleKaart Pro
11/06/2009

Percelen
Gebruik de zoekbalk of klik op een perceel om informatie over het perceel te bekijken.