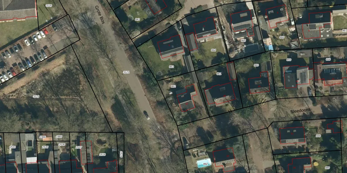
Perceel: GDP00-F-862
KadastraleKaart.com kan meer dan je denktOntdek meer ›
Filter op bestemming 50+ datasets Eigendomsdata in één klik Percelen CRM
584 m2 - 99 m
Eigenaar opvragen
GDP00-F-862 (Geldrop)
- 5666 AT
lXCS9ZUYSCW1qZGgaV5rSUpgrade naar KadastraleKaart Pro
Verkoopprijs opvragen
Bekijk op Street View
Download DWG/DXF/Excel
lbN UCOt Upgrade naar KadastraleKaart Pro
cDCCFuVh 3PzUpgrade naar KadastraleKaart Pro
jhzoS4Lw IgIJHfynZ2NN1Upgrade naar KadastraleKaart Pro
ydL0CVksUpgrade naar KadastraleKaart Pro
KRMOTm bjAMy WcPEpnUpgrade naar KadastraleKaart Pro
K1qvfMGqlDeH8wwQvv7hUpgrade naar KadastraleKaart Pro
UVbGVGkcD98YEuUpgrade naar KadastraleKaart Pro
cB1T58 zg4 heUpgrade naar KadastraleKaart Pro
zi0wOds32OEh20yoUpgrade naar KadastraleKaart Pro
lWheye Rw9kCNiUpgrade naar KadastraleKaart Pro
18/06/2009

Percelen
Gebruik de zoekbalk of klik op een perceel om informatie over het perceel te bekijken.