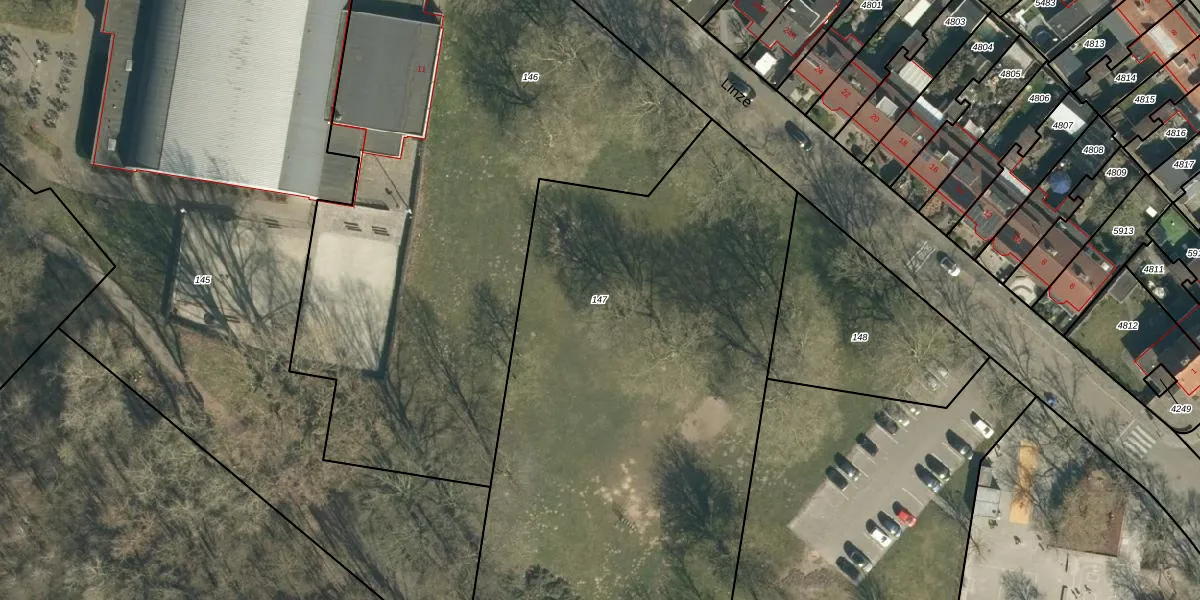
Perceel: GDP00-H-147
KadastraleKaart.com kan meer dan je denktOntdek meer ›
Filter op bestemming 50+ datasets Eigendomsdata in één klik Percelen CRM
Geen adressen bij dit perceel
3.425 m2 - 252 m
Eigenaar opvragen
GDP00-H-147 (Geldrop)
- Geen postcode aanwezig
5 vUZphsoJOCqGa60EideUpgrade naar KadastraleKaart Pro
Bekijk op Street View
Download DWG/DXF/Excel
FxcU8GJu2JDX8OLUpgrade naar KadastraleKaart Pro
PkWqu9alKn3AinXOgigDszUpgrade naar KadastraleKaart Pro
PoRJfR3E4Xc4gxgK6Me9sUpgrade naar KadastraleKaart Pro
jJnsjFwZZ0 GuQflovUpgrade naar KadastraleKaart Pro
e GCsCjeIS1BtghSVM Upgrade naar KadastraleKaart Pro
vyA mUKD1Gzdq1R4 Wx3Upgrade naar KadastraleKaart Pro
AxAq Ej 8rUHiwIuXIkTN5Upgrade naar KadastraleKaart Pro
QPK wCOOav7AijS884RUpgrade naar KadastraleKaart Pro
RBh1XfIBhp kc2B7mrhEtqUpgrade naar KadastraleKaart Pro
TPj9c l1ubJbpo h9nd Upgrade naar KadastraleKaart Pro
16/06/2009

Percelen
Gebruik de zoekbalk of klik op een perceel om informatie over het perceel te bekijken.