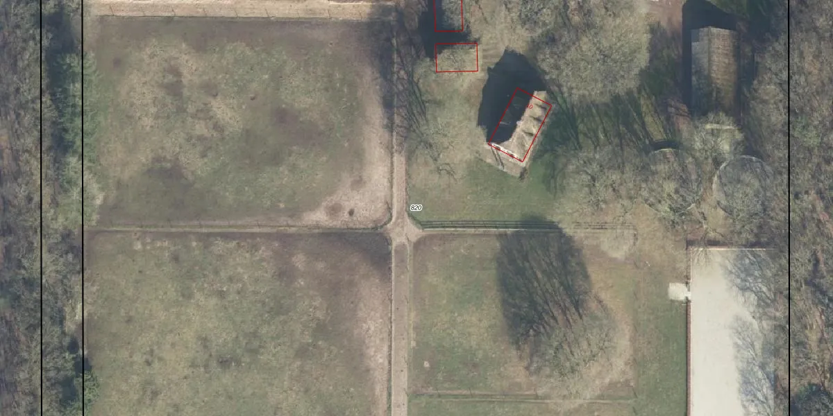
Perceel: GDR03-A-820
32.920 m2 - 736 m
Eigenaar opvragen
GDR03-A-820 (Garderen)
- 3886 PN
AgRX6ueS8BlFk mNJUpgrade naar KadastraleKaart Pro
Bekijk op Street View
Download DWG/DXF/Excel
5A iw 0 ON2wmzP5R DQFUpgrade naar KadastraleKaart Pro
He dv7vUUcKH2qgUpgrade naar KadastraleKaart Pro
v8jNIRRDwbkmwlwOF9dJjUpgrade naar KadastraleKaart Pro
oKbKwnsTDsw kIia4UL69FUpgrade naar KadastraleKaart Pro
u Ph gepuSql9x0daUpgrade naar KadastraleKaart Pro
vI0muwjez4szNMUpgrade naar KadastraleKaart Pro
X3Rmu 8rsZJGRQMJ0 yUpgrade naar KadastraleKaart Pro
IYcDLJuGXYB aKUpgrade naar KadastraleKaart Pro
5xT 73 4Wo qIUpgrade naar KadastraleKaart Pro
G Nc P RSUpgrade naar KadastraleKaart Pro
30/03/2005

Percelen
Gebruik de zoekbalk of klik op een perceel om informatie over het perceel te bekijken.