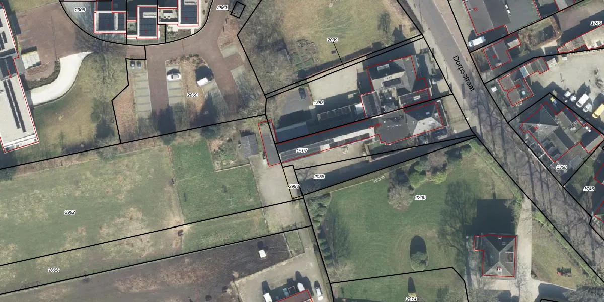
Perceel: GDR03-B-1507
762 m2 - 151 m
Eigenaar opvragen
GDR03-B-1507 (Garderen)
- 3886 AR
a25tGglKPR iB1LZuaMUpgrade naar KadastraleKaart Pro
Verkoopprijs opvragen
Bekijk op Street View
Download DWG/DXF/Excel
r5OxtzCsiUpgrade naar KadastraleKaart Pro
HL4UqY4TgXaPBUpgrade naar KadastraleKaart Pro
y8dfEtHuDshKvQ5BXw qNPVUpgrade naar KadastraleKaart Pro
YBiM1rTk 7wUpgrade naar KadastraleKaart Pro
ze0PzFCWsrPUpgrade naar KadastraleKaart Pro
C6kaGvZZ mwdp6kKUpgrade naar KadastraleKaart Pro
GsKmuLY QiEGsjs5SUpgrade naar KadastraleKaart Pro
eF7W H2w5udVzZTJImwvUpgrade naar KadastraleKaart Pro
2C StiT ijzD5 eFtHEC Upgrade naar KadastraleKaart Pro
Ke DasX1N O48IjcUpgrade naar KadastraleKaart Pro
01/05/2001

Percelen
Gebruik de zoekbalk of klik op een perceel om informatie over het perceel te bekijken.