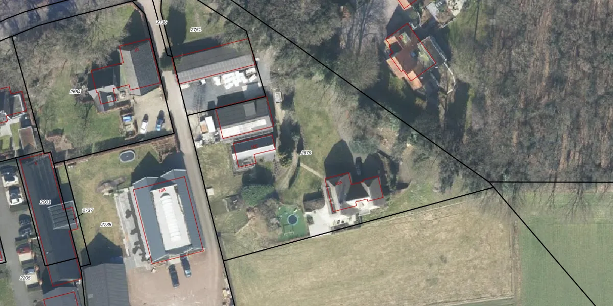
Perceel: GDR03-B-2879
KadastraleKaart.com kan meer dan je denktOntdek meer ›
Filter op bestemming 50+ datasets Eigendomsdata in één klik Percelen CRM
3.975 m2 - 339 m
Eigenaar opvragen
GDR03-B-2879 (Garderen)
- 3886 LC
6gkm2xlfAUyBRkVbL 6YUpgrade naar KadastraleKaart Pro
Verkoopprijs opvragen
Bekijk op Street View
Download DWG/DXF/Excel
8qHfIdmreroUpgrade naar KadastraleKaart Pro
EpSYkMjQymcXEJ28esxUpgrade naar KadastraleKaart Pro
ZPIyewtACwzy7zuiF7 7Upgrade naar KadastraleKaart Pro
d6 SlYcfigafwkUpgrade naar KadastraleKaart Pro
j4KGWrvx kdqG7Y4b5 c1Upgrade naar KadastraleKaart Pro
oi P8bSEduoPmWSih0rMwoUpgrade naar KadastraleKaart Pro
rGZwxlh Hpqu1zx6kUpgrade naar KadastraleKaart Pro
4 EF5dN8MB2OcvMqecCcqiYUpgrade naar KadastraleKaart Pro
ekxftSLfmC1mzbnTfeFyUpgrade naar KadastraleKaart Pro
Z gE6s Wgu4Upgrade naar KadastraleKaart Pro
04/07/2022

Percelen
Gebruik de zoekbalk of klik op een perceel om informatie over het perceel te bekijken.