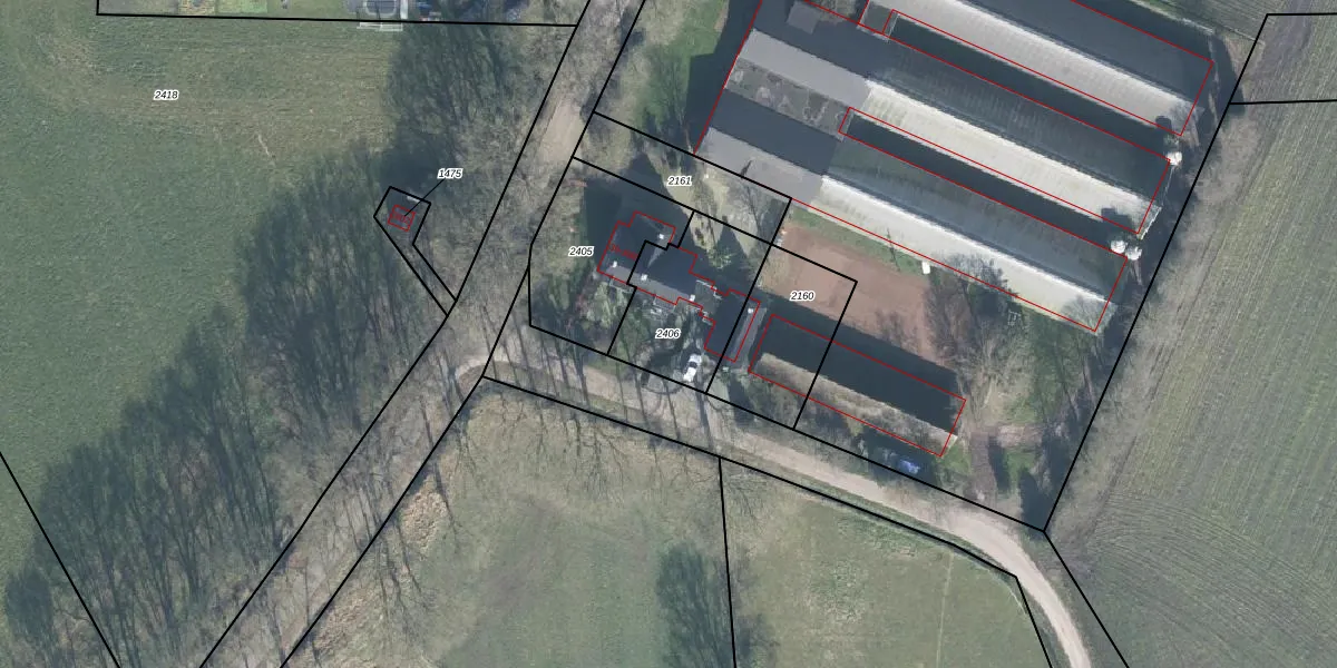
Perceel: GDR03-F-2406
KadastraleKaart.com kan meer dan je denktOntdek meer ›
Filter op bestemming 50+ datasets Eigendomsdata in één klik Percelen CRM
380 m2 - 84 m
Eigenaar opvragen
GDR03-F-2406 (Garderen)
- 3774 TM
J50MmC nzyoOGx3rJWUpgrade naar KadastraleKaart Pro
Verkoopprijs opvragen
Bekijk op Street View
Download DWG/DXF/Excel
h R93g8SjparUpgrade naar KadastraleKaart Pro
ZSEbfj iPSSGTThJQUpgrade naar KadastraleKaart Pro
7Ahx EX 8OpwsyHlgQUpgrade naar KadastraleKaart Pro
xdLMM5qWPTs oUpgrade naar KadastraleKaart Pro
XcOT31DRgt FxbUpgrade naar KadastraleKaart Pro
VNhrhYKYyOuVKUpgrade naar KadastraleKaart Pro
B131Z3aZz27Y ptq6nwtoqXUpgrade naar KadastraleKaart Pro
T7U9ed0 oGnAUpgrade naar KadastraleKaart Pro
EK21i0cpR i w4q7tk1Oo1Upgrade naar KadastraleKaart Pro
V5IBVseFrQ F2Upgrade naar KadastraleKaart Pro
15/06/2020

Percelen
Gebruik de zoekbalk of klik op een perceel om informatie over het perceel te bekijken.