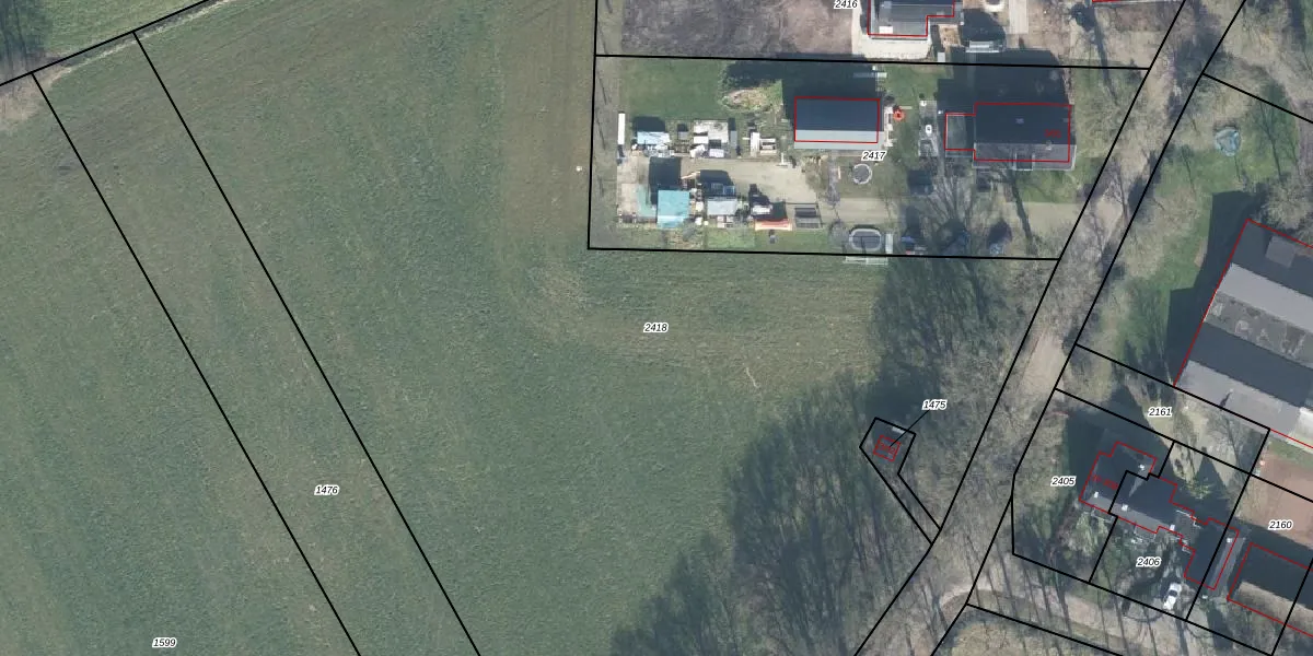
Perceel: GDR03-F-2418
KadastraleKaart.com kan meer dan je denktOntdek meer ›
Filter op bestemming 50+ datasets Eigendomsdata in één klik Percelen CRM
Geen adressen bij dit perceel
10.130 m2 - 533 m
Eigenaar opvragen
GDR03-F-2418 (Garderen)
- Geen postcode aanwezig
Sva lxGg66OZ lYwUOWHfeDdJck5cUpgrade naar KadastraleKaart Pro
Bekijk op Street View
Download DWG/DXF/Excel
3FSzz7NzcUpgrade naar KadastraleKaart Pro
JRLltRMVkUlUpgrade naar KadastraleKaart Pro
uyZoUxTFGyQIUpgrade naar KadastraleKaart Pro
5bZY8Zl3Cex aUpgrade naar KadastraleKaart Pro
G7 yCfe9ejn KmDOUpgrade naar KadastraleKaart Pro
1FbpVFYsTJCUpgrade naar KadastraleKaart Pro
fXcr5OMXi1ia7HUpgrade naar KadastraleKaart Pro
GW5 SN3J8Upgrade naar KadastraleKaart Pro
m yaoI59B kv4OG6eipUpgrade naar KadastraleKaart Pro
iQ G22k6ZPWi kGZjRUpgrade naar KadastraleKaart Pro
14/09/2020

Percelen
Gebruik de zoekbalk of klik op een perceel om informatie over het perceel te bekijken.