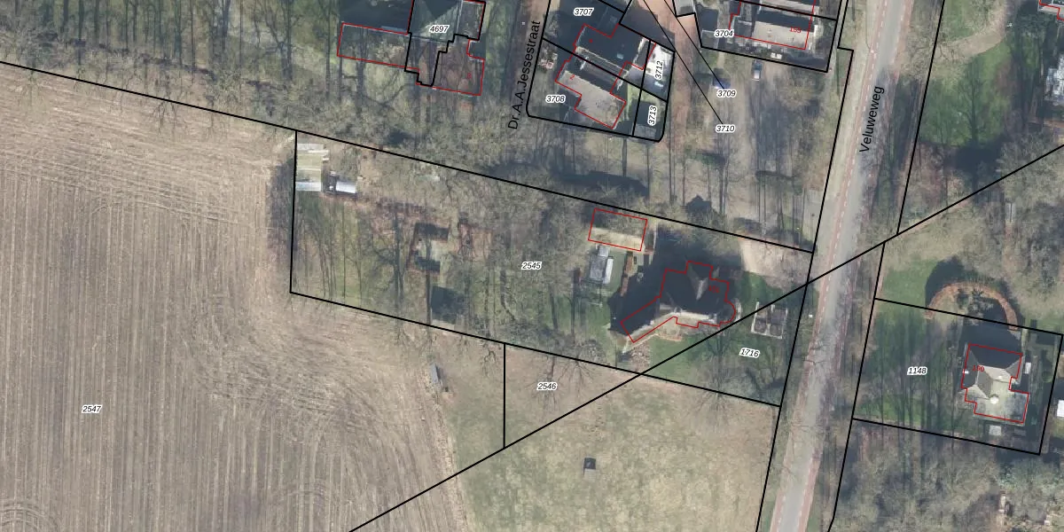
Perceel: GDR03-H-2545
2.570 m2 - 239 m
Eigenaar opvragen
GDR03-H-2545 (Garderen)
- 3774 BL
BYw9 wcqq3tyn LGFDqhDR97FUpgrade naar KadastraleKaart Pro
Verkoopprijs opvragen
Bekijk op Street View
Download DWG/DXF/Excel
XvoOHOopNHUpgrade naar KadastraleKaart Pro
ZCKgLu31Upgrade naar KadastraleKaart Pro
qgzFWvRQJvQbJ P PIm7 Upgrade naar KadastraleKaart Pro
sUTtu0uxWERqnM6 MwUpgrade naar KadastraleKaart Pro
HCr u1vcUpgrade naar KadastraleKaart Pro
xm8P71osUOmZYUpgrade naar KadastraleKaart Pro
EZks2fMIfSYaqs885aMqyykUpgrade naar KadastraleKaart Pro
GgmP US0JhpR BcrAZ0aVVmUpgrade naar KadastraleKaart Pro
NEqmbbMHdkCeWr i QpUfUpgrade naar KadastraleKaart Pro
wWfpExXwrcXQ 6WTUpgrade naar KadastraleKaart Pro
01/05/2001

Percelen
Gebruik de zoekbalk of klik op een perceel om informatie over het perceel te bekijken.